Home SHARON B. OLOUGHLIN v. MARTHA R. TIGHE and JERRY TIGHE

MISC 08-381949

May 20, 2011

HAMPDEN, ss.

Trombly, J.

DECISION

This action was commenced by Sharon B. Oloughlin (“Plaintiff”) on July 14, 2008 seeking to clear her title to a parcel of land in West Springfield. She had been, and continues to be, involved in a dispute with her next door neighbors, Martha R. Tighe and Gerald Tighe (collectively, “Defendants” or “the Tighes”), concerning the exact location of the boundary line separating their two properties on Terry Road in that town. Plaintiff claims to have good record title to her property, while Defendants claim to have established title by adverse possession to a portion of the property owned of record by Plaintiff. Oloughlin also asks the Court to order removal by Defendants of a fence they have caused to be constructed in the disputed area and which, Plaintiff contends, constitutes a trespass upon her property.

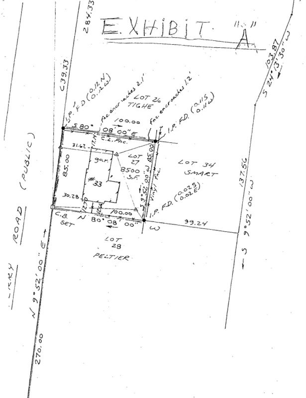
This case has been before the Court on several occasions regarding pre-trial issues, such matters including status and case management conferences, applications for injunctive relief, a motion seeking the release of criminal records of certain parties and witnesses, and motions relating to the admission or striking of certain evidence. Finally, three days of trial were held in Boston on March 1, March 2, and March 23, 2011. Testimony was heard from seven witnesses, and eleven exhibits, some with multiple parts, were introduced into evidence. The testimony was reported, and post-trial briefs have been filed by the parties. Based on all the testimony, exhibits and other evidence introduced at trial or otherwise, and based also on the inferences reasonably drawn therefrom, I find the following facts.

1. Plaintiff Sharon Oloughlin, along with Kevin C. Bouldin, purchased the property on Terry Road which is the subject of this case from Michael P. Fay and Frances M. Fay by deed dated October 8, 1999 and recorded at the Hampden County Registry of Deeds in Book 11001, Page 329. Title to the property was later conveyed from Mr. Bouldin to Ms. Oloughlin alone, and she later conveyed title to herself and Keith P. Gage by deed dated November 3, 2006 and recorded in Book 16314, Page 65. Oloughlin and Keith Gage are the current owners of that property.

2. Martha R. Tighe acquired title to the parcel abutting the Oloughlin parcel by deed from John A. Devine, Sr., said deed being dated September 26, 2001 and recorded in Book 11891, Page 378.

3. Mrs. Tighe testified that she walked around her newly acquired property at the time of purchase, and observed a chain link fence to the rear of the lot and a split-rail fence along the side. Mr. Tighe made the same observations at or shortly after the sale was completed.

4. Shortly after moving into the property, the Tighes began the process of installing new fences because they owned a purebred dog and wanted to contain him in their yard. They had some discussion about the matter with Ms. Oloughlin and erected the new chain link fence in 2001. It is still present in that location and was not the subject of any dispute until recently.

5. The Tighes maintain that they have always treated the fenced-in areas as their own, and that this area extends for a distance beyond the fences. Such use include lawnmowing, landscaping, and taking care of the fences. They contend there was never any dispute or comment by the Oloughlins until 2006.

6. At some time in 2006, Ms. Oloughlin had her land surveyed as she was considering installing a swimming pool. The plan was not shown to the Tighes, but they believe and are informed that it disclosed no encroachments between the two parcels. The surveyor’s field notes disclosed no notes of any trees, chain link fences or other monuments which might encroach.

7. In 2007, Ms. Oloughlin and Mr. Gage caused another survey of their land to be prepared by Robert A. Foresi, the same surveyor who had prepared the 2006 plan. This plan, introduced at trial as Exhibit 7, was a revised version of the earlier survey and showed a location of the northerly boundary of the Oloughlin land which resulted in portions of the Tighe’s fence to be shown as encroachments, the encroachments ranging from approximately 2.1 feet in the front (northwesterly) corner to approximately 1.2 feet in the rear (northeasterly) corner.

8. The surveyor who prepared both plans, Mr. Foresi, testified that the existing split-rail fence was in line with the point at the southerly end of the abutter’s chain link fence along the Tighes’ easterly boundary in the Tighe’s rear yard. His plans took into account and were based on the plan of the entire subdivision of which both lots in this case are parts.

9. Keith Gage, co-owner of the Oloughlin property, sent a letter to the Tighes shortly after the completion of the second survey and stated that litigation would follow if the Tighes did not take certain action to accept the new survey as delineating the correct boundary line separating the two parcels. This action was filed in 2008. Animosity between the parties arose and continues to this day, some of it petty. For example, Plaintiffs sought an injunction to compel the Tighes to remove mulch which their landscaper had placed under the split-rail fence because it had spread onto the Oloughlin property and constituted a trespass. Both sides have requested an award of attorneys’ fees on grounds that the other side has taken steps and brought motions which amount to harassment and frivolous acts.

10. Another issue which arose, and which was thought by some to be another example of harassment, was Plaintiffs declared intent to cut trees which overhung the boundary between the two properties, even though the exact location of the boundary had not yet been determined.

11. Attempts at settling this dispute have not been successful, with each side blaming the other for the failed attempts.

* * * * * * * * * * *

Plaintiff contends that the fence erected on the supposed boundary line by the Tighes in 2002 was not, in fact, located on the correct boundary line, and that it encroaches onto the Oloughlin property by between one and two feet. The Tighes respond that the fence is on the boundary line, that it correctly delineates the boundary separating the two properties, and that even if it is not on the correct line, they have nevertheless acquired title to the disputed strip by adverse possession based on the use and occupation of the area, both by themselves and by their predecessors in title.

Elements of Adverse Possession

“Title by adverse possession can be acquired only by proof of nonpermissive use which is actual, open, notorious, exclusive and adverse for twenty years.” Totman v. Malloy, 431 Mass. 143 , 145 (2000); Ryan v. Stavros, 348 Mass. 251 , 262 (1964); see also G.L. c. 260, § 21. The requirements are strictly construed and must be proven by the party asserting title by adverse possession. See Sea Pines Condominium III Ass’n v. Steffens, 61 Mass. App. Ct. 838 , 847 (2004) (hereinafter “Sea Pines”). In the absence of clear proof, the true owner will not be barred of his right to the property. Cook v. Babcock, 65 Mass. 206 , 210 (1853).

The test for adverse possession is the degree and nature of control exercised over a disputed area, the character of the land, and the purposes for which the land is adapted. Ryan, 348 Mass. at 262. The acts must be sufficiently open and notorious to place the rightful owner on constructive notice that a claim of right was being asserted. Lawrence v. Town of Concord, 439 Mass. 416 , 421 (2003). Thus, the claimant must act “in a manner inconsistent with the true owner’s rights.” Lawrence v. Town of Concord, 439 Mass. at 421; see also Sea Pines, 61 Mass. App. Ct. at 847. The open and notorious requirement is designed to allow the true owner to take legal action and cut of the adverse possessor’s claim before the statutory period is completed. Lawrence, 439 Mass. at 421 (quoting Ottavia v. Savarese, 338 Mass. 330 , 333 (1959)); see also Sea Pines, 61 Mass. App. Ct. at 848. A landowner can interrupt the statutory period by openly reentering the land in such a manner “so as to give notice of the interruption.” Pugatch v. Stoloff, 41 Mass. App. Ct. 536 , 541-42 (1996).

The claimant “must use and enjoy the property continuously for the required period as the average owner would use it, without the consent of the true owners and therefore in actual hostility to him irrespective of the possessor’s actual state of mind or intent.” Kendall v. Selvaggio, 413 Mass. 619 , 624 (1992); see also Shaw v. Solari, 8 Mass. App. Ct. 151 , 156-57 (1979). Adverse possessors in privity of estate with the claimant may be tacked on to fulfill the required twenty year period. See Lawrence, 439 Mass. at 421; Luce v. Parsons, 192 Mass. 8 (1906); G.L. c. 260, § 22. The true owner’s knowledge or lack of knowledge of his interest is not an element or a defense to a claim of adverse possession. Lawrence, 439 Mass. at 422.

Defendants contend that they replaced and reconstructed the split-rail fence along the disputed boundary line in 2002, and that they placed it in the same location where the prior fence stood. Plaintiffs do not agree, whereupon the Tighes reply that even if they did not locate the fence in exactly the same location, it has nevertheless been there long enough to now represent the correct boundary line. I do not agree.

“Tacking” is the theory whereby adverse possessors in privity of estate with the claimant may be tacked on to fulfill the required twenty year period. In the present case, the Tighes seek to tack by arguing that testimony from landscapers and the son of former owner John A. Devine is sufficient to cover the twenty year period. I do not credit their testimony. For one thing, their memories seem lacking on the specific facts regarding the location of the prior fence and concerning also what transpired on the disputed area. For another, there is insufficient clear proof as to how the boundary was maintained over the years. I conclude that Defendants have not met their burden of proof on the issue.

A second issue on which the Tighes have the burden is to prove that no relevant changes were made to the land or landscape prior to the installation of the fence in 2002. The first overt move made by the Tighes, the installation of the fence, was not made until 2002. Prior to that time, no acts were taken by Tighe or their predecessors which would put Loughlin or her predecessors that a claim was being made to the disputed area. Mowing the lawn and the spreading of mulch certainly do not rise to the level of an overt claim of ownership of another’s land. See Peck v. Bigelow, 34 Mass. App. Ct. 551 (1993), citing Lachance v. First. Nat’l Bank and Trust Co., 301 Mass. 488 (1938). It is also worthy of note that Mr. Devine testified that to his knowledge, there was never a dispute as to ownership of the disputed area while his father owned what is now the Tighe property. It appears that there was no “open and notorious” use of the area by any party at the time, and that all the property owners, as neighbors, mowed the lawn, raked leaves, and took other steps to maintain area without regard as to which of them actually owned it.

Having established that the Tighes and their predecessors have not established title by adverse possession to the disputed area, I now turn to the testimony of Robert A. Foresi, the surveyor who prepared the two plans. Both the 2006 and the 2007 plans disclose that Mr Foresi, in preparation to drawing them, went to the site and also looked at the plan of the subdivision of which the lots at issue are parts. He located an iron pipe at the intersection of Dorwin Drive and Terry Road, and he located a stone bound at the intersection of Terry Road and Harwich Road. Measuring from those bounds along Terry Road, he concludes that the Loughlin lot is as shown on his 2007 plan, and that the fence supposedly placed on the lot line by the Tighes in 2002 is not, in fact, on the line, but is, instead, approximately one foot onto the Loughlin property.

Conclusion

For all the above reasons, I find and rule that Defendants have not met their burden of proving that they have established title to the disputed area by adverse possession, and that even assuming the fence has been in its current location since 2002, they have not proven that any use of the area by prior owner John Devine was sufficient under the doctrine of tacking to add up to the necessary twenty years. I further find that the plans prepared by Robert A. Foresi, having been prepared by him in a manner agreeable to professional surveying standards, correctly delineate the location of the boundary line separating the Loughlin and Tighe properties. The land at issue is shown on a Plan entitled “Plan of Land, West Springfield, MA., Owned by Sharon B. Loughlin and Keith P. Gage, dated January 18, 2008, R. A. Foresi Associates, Land Surveyors. [Note 1] It follows, therefore, that the Tighes must remove the fence from the Loughlin property and, if they so desire, erect it in a location on their own parcel.

Judgment to enter accordingly.

Charles W. Trombly, Jr.

Justice

Dated: May 20, 2011


Exhibit A

Exhibit A


FOOTNOTES

[Note 1] A copy of a portion of the Foresi Plan is attached hereto as Exhibit A.

Exhibit A