Home C. KEEFE HURLEY, CARL H. AMON, JR., MILDRED G. HURLEY, Trustees of Old Silver Beach Trust vs. BEULAH E. SARKISIAN, GEORGE D. SARKISIAN and TOWN OF FALMOUTH.

MISC 91386

April 6, 1983

Barnstable, ss.

SULLIVAN, J.

DECISION

C. Keefe Hurley, Carl H. Amon, Jr. and Mildred G. Hurley, Trustees of Old Silver Beach, under a Declaration of Trust dated April 14, 1948 and recorded with Barnstable Deeds Book 697, Page 106 (Plaintiffs' Exhibit Nos. 1 and 2), [Note 1] the plaintiffs, bring this action seeking declaratory and injunctive relief against Beulah E. Sarkisian and George D. Sarkisian, the defendants, as they are the owners of Lot 249 on a plan recorded in Plan Book 20, Page 1 ("Old Silver Beach Plan"). [Note 2] The Town of Falmouth (the "Town") was also named as a defendant, but plays a small role herein. The plaintiffs allege that they are the owners of a triangular parcel of land, sometimes called the boomerang lot herein, situated on Quaker Road in said Falmouth, adjacent to land of the defendants; that the defendants repeatedly have used said lot for the parking of cars of guests at the guest house on the adjoining premises of the defendants; that the decision of the Board of Appeals of the Town of Falmouth granting a special permit to the defendants for the operation of a guest house specifically provided that parking was to be on land of the defendants (Plaintiffs' Exhibit No. 9); and that the defendants have violated the terms of the special permit. The defendants answered denying that the plaintiffs owned title to the triangular lot, alleging ownership thereof in the defendants through adverse possession and seeking to have this Court determine that the defendants have acquired title by adverse possession to the triangular lot and award damages to them in the amount of the harm which they have suffered from the conduct of the plaintiffs, together with reasonable costs and expenses. The defendants also filed a separate counterclaim in which they attempted to add as parties defendant all persons interested in the affairs of the following corporations: Old Silver Beach Corporation, Old Silver Beach, Inc., and Old Silver Beach Village, Inc. The counterclaim seeks the same relief as in the answer to the complaint. The corporations named in the counterclaim have all previously been dissolved although Old Silver Beach Corporation was revived during the course of this litigation. None of the previous officers or stockholders of said corporations were served in connection with these proceedings.

Initially, the plaintiffs allege that use of the defendants' land as a guest house violated restrictions imposed upon the lots at Old Silver Beach, but the plaintiffs subsequently waived such contention in view of the unlimited nature of the restrictions first imposed in 1931. See G. L. c. 184, §23.

A trial was held at the Land Court on May 27, 1981 and October 1, 14 and 20, 1982 at which a stenographer was appointed to record and transcribe the testimony. All exhibits introduced into evidence are incorporated herein for the purpose of any appeal. The only witnesses were Mr. C. Keefe Hurley, a Boston attorney, Arthur L. Eno, Jr., an attorney specializing in real estate transactions, an expert witness for the plaintiffs, Mrs. Sarkisian, George D. Sarkisian and Robert A. Braman, a surveyor retained by the defendants.

On all the evidence I find and rule as follows:

1. Old Silver Beach Corporation acquired title to two contiguous parcels of land at Old Silver Beach in said Falmouth, one parcel containing about 20 acres and the other about 60 acres, by deed from Joseph W. Crowell, Trustee, dated December 17, 1926 and duly recorded in Book 441, Page 341 (Defendants' Exhibit No. 1).

2. Old Silver Beach Corporation conveyed to Charles P. Abbott by deed dated August 13, 1936 and recorded with said Deeds Book 525, Page 128 (Defendants' Exhibit No. 3) 158 numbered lots of land at Old Silver Beach. The deed also conveyed all rights of the grantor in the numbered lots shown on the Old Silver Beach Plan and specifically named therein. (Plaintiffs' Exhibit No. 3 and Chalk A). The deed contained the language: "no right, title nor interest in any of the land shown on said plan is hereby granted, except as expressly stated herein".

3. Charles P. Abbott conveyed said 158 lots to Charles R. Knight by deed dated August 13, 1936 and recorded in Book 525, Page 131 (Defendants' Exhibit No. 4) in which deed the same exclusionary language was included.

4. The exclusionary language was used again in the deed from Charles R. Knight to Old Silver Beach Village, Inc. dated March 25, 1937 and recorded. in Book 523, Page 512 (Defendants' Exhibit No. 5), but when the latter corporation conveyed to C. Keefe Hurley, et al, Trustees, 151 numbered lots shown on said plan, in deed which was dated April 14, 1948 and recorded in Book 697, Page 41 (Plaintiffs' Exhibit No. 4) it was dropped. Instead the grantor included a paragraph conveying "all the grantor's right, title and interest in and to any other lots or parcels of land or beach on the mentioned plan, whether numbered or not, record title to which now stands in the name of the grantor". Title to the land in dispute was not in said grantor.

5. The grantee in the last mentioned deed subsequently conveyed to C. Keefe Hurley and Mildred G. Hurley, individually, lots 21 and 250 on said plan situated on Santuit Road by deed dated June 6, 1969 and recorded in Book 1117, Page 406 (Defendants' Exhibit No. 12). (See also Defendants' Exhibit No. 13).

6. C. Keefe Hurley on November 25, 1979 applied to the Secretary of State for the revival of Old Silver Beach Corporation for a period of one year in order to transfer and confirm title to the triangular shaped parcel, and in order to remove a serious cloud from the applicant's title (Plaintiffs' Exhibit No. 19). The filing with the Secretary of State's office was after this action had been brought.

7. Old Silver Beach Corporation was revived by the Secretary of State for a period of not more than one year for the purpose of transferring and confirming title to real estate, but not for the purpose for which it was established. The revival certificate was dated November 26, 1979 (Plaintiffs' Exhibit No. 19A). Plaintiffs' Exhibit No. 30 shows that Old Silver Beach Corporation had been incorporated under the General Laws of the Commonwealth on December 15, 1926 and was dissolved by the Acts of 1936, c. 402 on July 1, 1936. Counsel suggests that there had been a previous limited revival during the 1950's.

8. A deed was then executed in the name of Old Silver Beach Corporation, as grantor, to C. Keefe Hurley, Mildred G. Hurley and Carl H. Amon, Jr., Trustees, as grantees, attempting to convey the unnumbered triangular lot containing about 4,000 square feet. The deed was dated December 7, 1979 and recorded in Book 3028, Page 128. C. Keefe Hurley, acting as President and Treasurer of Old Silver Beach Corporation, executed and acknowledged said deed on its behalf. A certificate of said Carl H. Amon, Jr. stating that he was the duly elected Clerk of Old Silver Beach Corporation certifies that as of December 7, 1979 votes of said corporation were approved , consented to, and adopted by the directors electing Mr. Hurley as President and Treasurer, and Mr. Amon as Clerk, and authorizing the execution, acknowledgement and delivery of the quitclaim deed from Old Silver Beach Corporation to the Trustees of Old Silver Beach Trust (Plaintiffs' Exhibit No. 20). No evidence was before the Court as to the stockholders of said corporation, nor as to any election by them of the directors who adopted the votes electing officers and authorizing the execution of the deed.

9. The lot as to which title and use thereof is in dispute is unnumbered on the Old Silver Beach Plan. It may be described as triangular in shape or perhaps more accurately as a boomerang lot. In 1978 the Falmouth assessors designated it as Lot 250, and it now bears that number on the current Assessors' Plan. (Plaintiffs' Exhibit No. 22). As the findings above suggest Mr. and Mrs. Hurley's residence is located in part on a Lot 250 on said plan, but such lot is in an entirely different location.

10. Mrs. Sarkisian and her late husband acquired title in 1946 to lot 249 by deed from Walter H. Gregg dated September 14,1946 and recorded in Book 661, Page 204 (Plaintiffs' Exhibit No. 25). The Old Silver Beach Plan shows Lot 249 as having 8,150 square feet as does the Assessors' Plan (Plaintiffs' Exhibit No. 22). The sketch furnished by George Sarkisian to the Board of Appeals suggests the lot has 9,700 square feet (although two dimensions are not given) and the Board so interpreted it in requiring the parking to be on the 9,700 square feet owned by the applicants.

11. The Sarkisian house was built in 1949 and commenced to be used as a guest house in 1950 on a smaller scale than at present. The property had a grass lawn in the front and on the sides of the house. The southerly lot line which abuts the boomerang lot is approximately ten feet distant from the southerly side of the house. About the time the house was built, Mrs. Sarkisian hired a bulldozer to clear an area beginning about ten feet from the southerly side of the house and measuring about fifty to sixty feet in width and ninety to ninety-five feet in depth. Originally the lawn on the southerly side sloped naturally to the gravel driveway leading from Quaker Road to the rear of Lot 249 (Defendants' Exhibit Nos. 9 and 17). An "Enter" sign was placed at the driveway. Social and business invitees of the Sarkisians parked their cars on the boomerang lot during the summer months (Defendants' Exhibit Nos. 23, 24, and 25). George Sarkisian acquired a Keystone 16 millimeter camera in 1950 when he was 14 years old and had taken pictures of the family property and environs since. Selected film clips of 1951, 1952, 1960 and 1977 were projected for the Court and showed one or two cars on the boomerang lot and at the rear of Lot 249, the tool house beyond the boomerang lot, the gates leading in to the boomerang lot and the cinder block wall along the property as well as glimpses of the neighboring property. The cinder block wall along Quaker Road was erected by Mrs. Sarkisian in the mid '50's. A similar wall also runs easterly from Quaker Road and defines a noticeable difference in elevation which exists at present (but not in 1950) between Lot 249 and the boomerang lot. (See Plaintiffs' Exhibit Nos. 17C and 24A and Defendants' Exhibit No. 21). It is not clear when these blocks were placed on the property, nor when the difference in elevation occurred. In his testimony Mr. Sarkisian suggested that wind driven sand from the beach across Quaker Road was responsible, but this seems unlikely because it is the lawn which is higher. In 1969 a two part gate was installed on Quaker Road at the entrance to the boomerang lot. In fact, the plan prepared by the defendants' expert (Defendants' Exhibit No. 19) shows the wall and gate to be within the street line of Quaker Road, a public way. About 1958, the Sarkisians built a tool house on the "Pollock" property east of the boomerang lot with permission of the then owner. The Sarkisians subsequently acquired title to the Pollock lot. Underground wires from the Sarkisian house across the boomerang lot to the tool house provide electricity to it.

12. In September 1978 a bulldozer again was at work on the Sarkisian property. Mr. Hurley testified that he observed it pushing sand, bushes and trees across the boomerang lot to extend the land available for parking. The defendants denied that such was the purpose of the bulldozer, but I accept Mr. Hurley's testimony on this point.

13. In 1970, Lyman H. Pollock, et ux, conveyed to Beulah E. Sarkisian and George D. Sarkisian, as joint tenants, a parcel of vacant land adjoining the boomerang lot and containing about 34,200 square feet of upland and one acre of marsh by deed dated September 16, 1970 and recorded in Book 1488, Page 218 (Plaintiffs' Exhibit No. 26). The granted premises are shown on a plan entitled "Plan of Land of Lyman H. and Lillian M. Pollock at Old Silver Beach, Falmouth" dated May 14, 1970 by Newell B. Snow (Plaintiffs' Exhibit No. 27). The description in said deed bounds northerly and westerly by land of the Trustees of Old Silver Beach Trust, and the plan shows such trustees as owners of the boomerang lot. Similarly, the deed from Walter H. Gregg to Aram B. Sarkisian and his defendant wife, bounds the property southwesterly by land now or formerly of Old Silver Beach Corporation. This deed also gives the area of Lot 249 as 8,150 square feet. The defendants, therefore, had actual notice of the record owner of the boomerang lot.

14. An assessor for the Town of Falmouth, one Seth Pope, now deceased, told Mrs. Sarkisian and her late husband about 1949 that the Town did not know the owner of the lot adjoining their property. In response to an inquiry of the Sarkisians as to their desire to purchase the property, Mr. Pope suggested that the defendants use it as they wished in the absence of knowledge as to who the record owner was. A series of letters detailed efforts by the defendants to acquire record title to the land. While Mrs. Sarkisian was evasive in her testimony as to the authority of the attorneys to approach the plaintiff on her behalf, she did in fact authorize their negotiations. In evidence is a letter from George Sarkisian to Old Silver Beach Trust dated September 17, 1969 inquiring whether the lot adjoining their summer residence on Quaker Road was available for sale and the price (Plaintiffs' Exhibit No. 10). This was followed by Mrs. Sarkisian's letter of January 13, 1970 addressed to the Trust in care of Mr. Hurley which submitted an offer of $2,500 for purchase of the property (Plaintiffs' Exhibit No. 11). An attorney and family friend, Steven T. Russian, attempted to find out from Mr. Hurley whether he was interested in Mrs. Sarkisian's offer by two letters dated July 28 and September 11, 1970 (Plaintiffs' Exhibit Nos. 12 and 13), the first of which refers to a telephone call on the same subject. Finally, George H. Lebherz, Jr., Esq., added his evidence by letter dated September 28, 1971 (Plaintiffs' Exhibit No. 14) with the same results. Mr. Hurley never indicated a willingness to sell the property in response to the approaches made by the defendants. Mrs. Sarkisian did not know of Mr. Hurley's claim to own land in the vicinity of Lot 249 until he drove by her house in 1969, stopped and introduced himself, and indicated his ownership of land in the area. Mrs. Sarkisian was unable to confirm his ownership. In July of 1978 Mr. Hurley asked Mr. Sarkisian to his house, offered to sell the triangular lot at a price Mr. Sarkisian considered too high and allegedly demurred when Mr. Sarkisian sought time to obtain a second appraisal.

15. Just before commencement of the high season at Silver Beach, the Board of Appeals held a hearing on June 26, 1978 in response to the application by the Sarkisians for a special permit for the continuance of the operation of the guest house on Lot 249. As suggested above, this sketch filed with the Board on behalf of the Sarkisians was less than accurate. Mr. Hurley appeared at the hearing and registered his opposition to the allowance of the permit. He claimed that Old Silver Beach Trust owned the lot adjoining the Sarkisian property and that the defendants had been using it for parking in conjunction with the operation of their guest house (Plaintiffs' Exhibit No. 8). The Board by decision dated July 10, 1970 granted a special permit to the Sarkisians to use their present dwelling located at 335 Quaker Road in North Falmouth for the guest house, but provided that "parking will be provided on the 9,700 sq. ft. of land for eleven (11) automobiles with more parking on the lawn. No parking is permitted on the Old Silver Beach Trust property to the west." In response to Mr. Hurley's complaint voiced at the hearing of the Board of Appeals as to use of the private beach for Old Silver Beach residences only, the Sarkisians voluntarily imposed a restriction on Lot 249 which reads as follows:

"No person staying at the premises as a commercial guest, pursuant to a Special Permit granted by the Board of Appeals of the Town of Falmouth, dated July 10, 1978, shall have any rights to use or enjoy a beach located between lot numbered one and lot numbered thirty-three and the rights to use the ways to said beach, all as shown on said plan."

The restriction appears in a deed from one Janet S. Meldon to George D. Sarkisian, et al, herein before referred to (Plaintiffs' Exhibit No. 29).

16. The defendants had never paid any real estate taxes on the boomerang lot which is not assessed to them. Mr. Hurley claimed to have paid taxes on the lot, and there were introuced into evidence tax bills, beginning with 1968, covering a triangular lot containing 4,000 square feet, but it is difficult to be certain whether this reference is to locus until the 1978 bill which covered a parcel of vacant land covering 3,500 square feet and being Lot 250 on Map 13 Section 60 (See Plaintiffs' Exhibit Nos. 16 and 22).

Prior to the deed to the plaintiffs from Old Silver Beach Village, Inc., the predecessors in title specifically excluded from their grant any land on the subdivision plan of Old Silver Beach which was not expressly conveyed. This set the stage for title problems similar to that presented in the present case where there has been no express conveyance of the boomerang lot prior to the commencement of this litigation. The deed to the plaintiffs did not fall into a similar trap since the grantor conveyed its right, title and interest in all lots or parcels of land on the plan, to which it had record title. It did not, however, have record title to the land now in dispute. The plaintiffs attempted to rectify the problem by reviving the corporation which still held title to locus. It is clear from the case of Russell Box Company v. Commissioner of Corporations and Taxation, 325 Mass. 536 , 540 (1950) that Mr. Hurley was a party in interest with standing to apply to the Secretary of State pursuant to the provisions of G.L. c. 156B, §108 for the revival of a dissolved corporation. Indeed in the Russell Box case, the Court sanctioned the revival of a corporation by a party pursuing a claim against it in the Federal Court. Once revived, however, there is nothing in the record before me to show that the stockholders of the revived corporation elected the directors in whom they then reimposed the authority to elect the officers of the revived corporation. It, therefore, appears to me that the deed from Old Silver Beach Corporation to the plaintiffs executed by Mr. Hurley as President and Treasurer was given without proper authority and did not convey title without ratification by the present stockholders of Old Silver Beach Corporation. This being so, I find and rule that the plaintiffs have no standing to maintain this complaint nor any interest in the triangular or boomerang lot and that a declaration should be made to this effect.

The defendants in their answer and counterclaim have asked for a declaration that they have acquired title to the boomerang lot by adverse possession. The principles by which adverse possession is established are frequently stated by our appellate courts and are dealt with continually by this Court. In brief, the use of land must be "nonpermissive actual, open, notorious, exclusive and adverse for twenty years." Ryan v. Stavros, 348 Mass. 251 , 262 (1964), Kershaw v. Zecchini, 342 Mass. 318 (1961). The occupancy must be "intended to exclude the true owner and all others from possession and to appropriate it and hold it." As the Court said in Holmes v. Johnson, 324 Mass. 450 (1949), "Acquisition of title through adverse possession is a fact (citations omitted) to be proved by the one asserting the title. The burden of proof extends to all of the necessary elements of such possession and includes the obligation to show that it was actual, open, continuous and under a claim of right of title." If any of these elements is left in doubt, the claiment cannot prevail. Mendoca v. Cities Service Oil Co., 354 Mass. 323 (1968).

The fact that the Sarkisians only used the triangular lot during the summer season when they ran the guest house would not affeet the twenty years' use they are trying to establish, Ivons-Nispel Inc. v. Lowe, 347 Mass. 760 (1964), if the other requirements of adverse possession are met.

The plaintiffs interpose several arguments against the defendants' claim of adverse possession. They first argue that a dissolved corporation should be treated as one under a disability against whom adverse possession cannot be obtained. There is no law that binds me to accept this novel proposition, and I reject it. If a corporation fails to dispose of its real estate prior to its dissolution, title thereto may forever be defective unless others can acquire it by adverse possession.

The plaintiffs also further argue that the defendants' use of the boomerang lot was neither adverse nor exclusive, two of the necessary elements. It is true that the defendants attempted to ascertain the record owner of the boomerang lot and believing it to be the plaintiff Trust, made repeated offers to purchase the property from Mr. Hurley in his fiduciary capacity. This does not require a finding that possession was not adverse, for to obtain a deed to confirm a possessory title that at best requires judicial proceedings to establish it is astute. Particularly is this so here where the offers took place at the same approximate time that the twenty year period expired. See Warren v. Bowdran, 156 Mass. 280 (1892); Van Allen v. Sweet, 239 Mass. 571 (1921). Acceptance of deeds wherein the abutting land to which one claims title is described as of a third person would have more weight as militating against the defendants' present position if the claim of title were based on the record rather than on possession. The conduct of the defendants at the Board of Appeals hearing is equivocable. The defendants said that they did not claim any of the land to which Mr. Hurley also made claim. In fact, there was an error in the sketch submitted to the Board and the curb cuts, the driveway and the parking on the side of the house all were on the boomerang lot. The plan made in 1982 by a registered land surveyor for the defendants (Defendants' Exhibit No. 19) was done in an approved manner after research and provides for the first time a depiction of lot 249 and the boomerang lot with the location of the improvements thereon. Other than for the conveyancing relative to the beach, the defendants have continued to use the land in contention exactly as they pleased while paying lip service to their lack of record title and Mr. Hurley's claims. Ottavia v. Savarese, 338 Mass. 330 , 333-334 (1959). The manner of use and its circumstances demonstrate to my satisfaction that the defendants did not consider themselves subject to the authority of Mr. Hurley to prevent their use, whatever they may have said. See Bills v. Nunno, 4 Mass. App. Ct. 279 , 284 (1976).

Testimony of the defendants was deprecating as to the directions they gave their guests for parking and the exclusivity thereof with a public beach just across Quaker Road. Whether directions for parking were express seems immaterial since the evidence certainly establishes it was implicit. Many a record landowner can attest to the difficulty of excluding the public from parking on private property in the vicinity of a beach, and the occasional use by third parties at the nearby beach is not such as to interrupt the defendants' possession or to render it nonexclusive. Nor is the failure to pay taxes fatal.

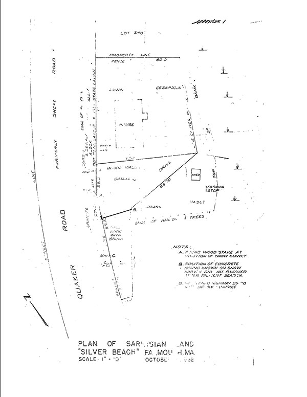
By itself the payment of real estate taxes has been held insufficient to prove adverse possession. Conversely the failure to do so does not preclude a finding of title by adverse possession. The defendants have not established title to the entire boomerang lot, however, for they have used only a portion thereof and have no color of title upon which to rely for title to the remainder. A line running westerly from point B on Defendants' Exhibit No. 19 to the street layout as indicated by the Court on a reduced copy of said Exhibit attached hereto as Appendix 1 marks the southerly extent of land to which the defendants have acquired title.

On all the evidence I find and rule that the defendants and those claiming under them used the above described portion of the boomerang lot openly notoriously, exclusively and adversely since 1950 and that title thereto has been acquired by the defendants by adverse possession.

There was no evidence of any damages suffered by the defendants. No costs and expenses are awarded.

Judgment accordingly.


exhibit 1

Appendix 1


FOOTNOTES

[Note 1] All recording references herein are to said Registry of Deeds unless the context otherwise requires.

[Note 2] Marilyn J. Woloohojian appears to hold title with the defendants as a tenant in common. See deed from Janet S. Meldon dated July 24, 1978 and recorded in Book 2573, Page 254 (Plaintiffs' Exhibit No. 29). Mrs. Woloohojian has not been joined as a party.