Home SAMUEL B. YENTILE and HELEN P. YENTILE v. FRANK YENTILE and VIOLA WEBB.

MISC 133364

November 16, 1992

KILBORN, J.

DECISION

This action is a boundary dispute as to lots on Lowell Street, Wilmington. All parties seek a determination of the true boundaries, injunctive relief and damages. One unusual feature is that Plaintiffs are seeking relief against neighbors on either side; Defendant Yentile owns on one side of Plaintiffs and Defendant Webb owns on the other.

A trial was held on April 22, 1992 and June 4, 1992. The trial was tape recorded. 40 Exhibits (some with multiple parts) were introduced into evidence and all of them are incorporated in this Decision for purposes of any appeal.

The following witnesses testified: Frank Yentile (Defendant), Viola Webb (Defendant), Alphonse Haley (Surveyor); all for Defendants. Samuel Yentile (Plaintiff), Malcolm Johnston (Surveyor), Lorraine Stickney (Samuel's daughter), James Yentile (Samuel's son), Thomas Yentile (Samuel's son); all for Plaintiffs.

I find and rule as follows:

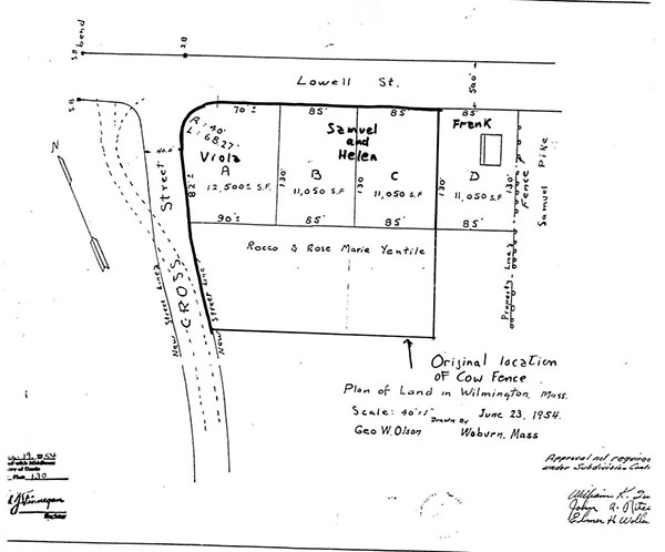
1. The land in dispute consists of four lots in Wilmington, shown as Lots A, B, C, and D on a "Plan of Land in Wilmington, Mass." by George W. Olson, dated June 23, 1954, recorded with Middlesex North District Registry of Deeds on August 19, 1954 in Book of Plan 84, Plan 130 (the 1954 Plan) (Exhibit 1) (All recording references in this Decision are to the above Registry). A copy of the 1954 Plan is attached.

2. Title to the four lots was conveyed by Rocco and Rose Marie Yentile, parents of the parties, as follows: Lot C was conveyed to Plaintiff, Samuel Yentile, by deed dated and recorded on June 25, 1954, (Book 1259, Page 320); Lot B was conveyed to Theresa Garey by deed dated and recorded on June 25, 1954 (Book 1259, Page 321); it was later conveyed to Plaintiffs by deed dated and recorded on August 8, 1962, Book 1566, Page 490; Lot A was conveyed to Defendant, Viola Webb, formerly Viola Yentile, by deed dated and recorded June 25, 1954, Book 1259, Page 322; and Lot D was conveyed to Defendant, Frank P. Yentile, and his wife Ruth M. Yentile (deceased) as tenants by the entirety, by deed dated and recorded June 25, 1954, Book 1259, Page 323. As a result of these conveyances, record title to Lot A is in Viola, Lots B and C in Plaintiffs and Lot D in Frank.

3. In 1988, Samuel Yentile had Lots B and C surveyed by Malcolm N. Johnston. His instrument survey (Exhibit 7) revealed, along the southerly portion of the boundary line between Lots D and C, an encroachment of a chain link fence onto Lot C, a maximum 6.5'; also a line of spruce trees running just to the east of the boundary line between Lots A and B. Mr. Johnston testified that he used themonuments and distances shown on the 1954 Plan and laid out the Plaintiffs' property by running the lots, starting with Lot A, in an easterly direction. Mr. Johnston gave his opinion that the notation "plus or minus" on the 1954 Plan usually means a few inches.

4. Defendant, Frank Yentile, contracted with Alphonse Haley to perform a survey of Lot D (Exhibit 8). Mr. Haley testified that he laid out the lots running in a westerly direction, laying out Lot D first. Exhibit 8 does not show a fence encroachment by Lot D; rather, it shows a fence as forming part of the boundary between Lots C and D. Mr. Haley based his opinion on the fact that Lots B, C and D contained definite measurements for all boundaries and the front and rear lot lines of Lot A were indefinite. Additionally, Frank Yentile testified that he was present when Mr. Olson, who prepared the 1954 Plan, staked out the property and he started from the front (i.e. Lowell Street) left­hand corner of Lot D and then proceeded down the Lowell Street line.

5. Plaintiffs claim that the boundaries are as shown on the Johnson Survey and that Frank's fence thus encroaches on their land, as do the trees planted along Viola's boundary. Frank claims that the boundary lines are as shown on the Haley Survey or, if the Johnson Survey is correct, that Frank has title by adverse possession to the area established by the chain link fence, as extended to the Street. Viola claims that her property line is the line established by a line of pine trees.

6. If the Haley Survey is correct, there is not enough land to accommodate the lots as shown on the 1954 Plan. That shows an aggregate of 325±' along Lowell street, whereas the Haley Survey shows 316.62 (a discrepancy of 8.38±'). The equivalent measurement along the rear property line produces a discrepancy of 2.78±. The Haley Survey also shows 248 s.f. less aggregate land area than the 1954 Plan. The Johnson Survey shows only lots B and C. I accept the Haley survey as establishing the overall area comprised of the four lots.

7. Rocco and Rose Marie Yentile were the parents of all the parties and owned a farm which included, and was larger than, all four lots. All four lots were conveyed out at the same time in 1954, just after the 1954 Plan was drawn. Theresa Garey was a sister to the parties. Frank's home was the first constructed, in 1950, before the land was subdivided. Viola's house was constructed in 1957. Samuel's home was constructed in 1962, after he and his wife acquired Lot B from Theresa.

8. The Assessor's records show the lots as having the square footages shown on the 1954 Plan. Those records no doubt derive from the 1954 Plan and do not advance the inquiry.

9. About the time Frank's house was constructed on Lot D, the parties' father, Rocco, built a fence, known by all as the Cow Fence, generally as I have shown on the attached copy of the 1954 Plan. That was to keep cows out of Frank's area. When Viola built her house, in 1957, the Cow Fence was moved so as to separate her lot from Lots B and C (which were not built upon until 1962).

10. About the time Plaintiffs built their house on Lots B and C, the Cow Fence was taken down. In its place, separating Lots D and C, a line of rose bushes was established in the former location of the Cow Fence; that, in turn, was replaced in part by the chain link fence shown on the Johnson Plan. In about 1964 the Cow Fence was taken down between Lots A and B and Viola planted a line of trees in the former location of the Cow Fence. Samuel was present when the trees were planted and did not object to their location. The line of trees is shown on the Johnson Plan.

11. I find that Surveyor Haley correctly established the east line of Lot D, being land of Pike. The 1954 Plan intended to lay out 85' lots based on the Pike line and the Haley Plan correctly shows on the ground the lot layout as shown on the 1954 Plan. The boundary line between Lots D and C is the solid line marked "130.00" on the Haley Plan. That being the case, the chain link fence does not encroach (being right on the line) and there is no need to consider whether Frank acquired anything by adverse possession. None of Plaintiffs' activities east of the correct boundary line establish any rights by adverse possession.

12. What of Viola? The Haley Plan leaves the record boundary between Lots A and B somewhat to the west of the line of trees. I conclude that the boundary between Lots A and B is the dashed line shown on the Haley Plan as "Tree Line." I find that by their conduct over the years the Plaintiffs and Viola accepted that as the property line and that by her planting of the trees and maintenance of the lawn on her side of the tree line Viola established her rights up to the tree line by adverse possession.

13. No evidence as to damages was presented and I award none. I am confident the parties will honor the boundaries established in this Decision without injunctive relief, so I order none.

Judgment accordingly.


exhibit 1

1954 Plan