Home CHRISTOPHER R. LOMBARD and KAREN A. LOMBARD v. EDWARD E. COOK, EVELYN R. COOK, and PAUL S. GECSE

MISC 07-346981

June 11, 2012

PLYMOUTH, ss.

Scheier, C.J.

DECISION

In this action, filed May 9, 2007, Plaintiffs Christopher R. Lombard and Karen A. Lombard (Plaintiffs or Lombards) seek to quiet title to a portion of their land located in Plymouth. The lots respectively owned by the Lombards, Paul S. Gecse (Gecse), and Edward E. Cook and Evelyn R. Cook (Cooks) are abutting parcels carved from one larger parcel, at different times. The sole issue for trial in this matter is the location of the southerly boundary of the Lombards’ lot, which was the second lot carved out of the original parcel. The southerly line, wherever located, abuts a portion of the northerly line of the Gecse Parcel. The Lombards claim it is in one position, which the parties refer to as the “Lombard Line” and Gecse locates the boundary in another location, referred to by the parties as the “Gecse Line.” The triangular piece of land between the two proposed lines is sometimes referred to herein as the Disputed Area.

Substituted Defendant Gecse filed an Answer, Counterclaim, and Cross-claim timely on May 4, 2009. [Note 1] Count I of Defendant Gecse’s counterclaim, filed pursuant to G. L. c. 240, §§ 1-5, sought to compel Plaintiffs to try title to the Disputed Area of Plaintiffs’ land. Plaintiffs answered the counterclaim on May 20, 2009. [Note 2] Defendant Gecse subsequently filed a Motion for Default Judgment against Defendants Cooks, which was allowed as to the cross-claim on December 28, 2009.

A few months prior to trial, on February 26, 2010, Gecse filed a Motion in Limine through which he sought to exclude the testimony of Donald L. Delano, Jr., Plaintiffs’ expert witness, because he lacked the necessary education and qualifications to serve as an expert surveyor in this matter. This court granted Defendant’s motion by order dated April 21, 2010, but by further order, dated April 29, 2010, allowed Plaintiffs to alternatively designate John W. Delano as an expert, provided that Defendants were permitted to depose him at Plaintiffs’ sole cost and expense. Defendant’s Motion in Limine also sought to exclude certain U.S.G.S. maps purporting to reflect ground conditions in and around the Property in 1934, 1941, and 1951. By the April 21, 2010 Order, this court ruled that the U.S.G.S. maps were excluded from trial for the purposes of proving the precise location of the topographical features shown thereon, but would be entered in evidence, if offered, for the limited purpose of showing that a path or way existed on the ground and was visible at the time the U.S.G.S. maps were created. [Note 3]

A view was taken by the court in the presence of counsel on September 21, 2010, followed by a two-day trial on September 23 and 24, 2010. At trial, Plaintiffs presented testimony of Donald Delano, Jr.; Plaintiffs Christopher Lombard and Karen Lombard; and John Delano, a registered land surveyor. Paul Gecse, William Doucet, a registered land surveyor, and John F. Troy, Esq., all testified for Gecse. Defendants Cooks testified on their own behalf. Thirty-four exhibits were entered in evidence. On September 24, 2010, Gecse submitted a Motion to Dismiss Pursuant to Mass. R. Civ. P. 41(b)(2). That motion hereby is DENIED. All parties submitted post-trial briefs on or before November 24, 2010. [Note 4]

Based on all the evidence and reasonable inferences drawn therefrom, as well as observations from the view, this court finds the following material facts:

1. Christopher R. Lombard and Karen A. Lombard are individuals residing at 287 Black Cat Road, Plymouth. 287 Black Cat Road is comprised of multiple parcels that are described in deeds dated October 7, 1986, November 24, 1992, and December 16, 2006, and recorded with the Plymouth County Registry of Deeds (Registry) Book 7190, at Page 121, Book 11484, at Page 193, and Book 33868, at Page 174, respectively (Lombard Parcel). [Note 5], [Note 6] The description pertaining to the parcel containing the southerly boundary that is in dispute is contained in deeds recorded in Book 1870, at Page 115 (July 15, 1944), and in Book 7190, at Page 121 (October 7, 1986) (both sometimes referred to herein as the Lombard Deed).

2. Edward E. Cook and Evelyn R. Cook are individuals residing at 283 Black Cat Road, Plymouth. 283 Black Cat Road is comprised of multiple parcels described in a deed dated November 24, 1992 and recorded in Book 11497, at Page 217 (Cook Parcel).

3. Pursuant to a settlement agreement in Land Court Case No. 156343, the Lombards and the Cooks executed two deeds, dated November 24, 1992, recorded in the Registry in Book 11484, at Page 193 and 194. Through these instruments the Cooks released all their right, title, and interest in and to a parcel of land shown as Lot 33-A, containing 24,302 square feet, and shown on a plan titled “Plan of Land In Plymouth, Mass. Prepared For Christopher & Karen Lombard” dated March 12, 1992, recorded in Book 11556, at Page 340. See Book 11484, Page 193. The Lombards in return granted to the Cooks a parcel of land known as Lot 30-A, containing 2,258 square feet, and shown on said Plan. See Book 11484, Page 194.

4. In the settlement agreement in Land Court Case No. 156343, the Cooks and Lombards agreed that the “old woods road which leads around Small Gains Swamp . . . does not traverse any portion of the Lot containing 24,302 square feet [Lombard Parcel].” See Exhibit 31. [Note 7]

5. Paul S. Gecse is an individual residing at 297 Black Cat Road. This parcel is shown as Lot 35E on a plan titled “Plan of Land in Plymouth, Massachusetts, owned by Black Cat Cranberry Corporation,” which plan is dated November 13, 2001, prepared by Flaherty, Stefani & Bracken, Inc., and recorded in Book 45, at Page 54. The parcel is described in a deed dated February 3, 2009, recorded in Book 36767, at Page 78 (Gecse Parcel).

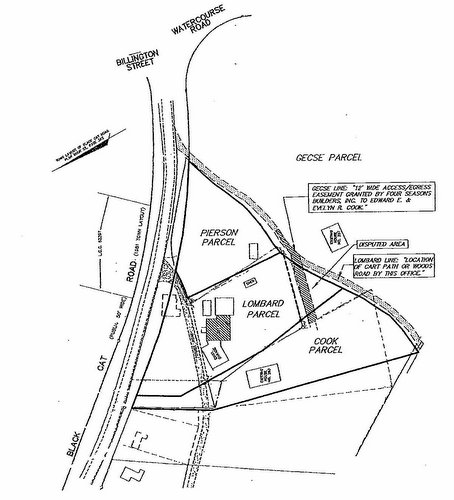
6. Steven J. Pierson (Pierson) is an individual residing at 293 Black Cat Road. This parcel is described in a deed dated June 28, 1990, recorded in Book 9833, at Page 205 (Pierson Parcel).

7. The Lombards and Pierson executed a land swap which is comprised of two deeds, recorded in Book 33868, at Page 172, and in Book 33868, at Page 174.

8. The Lombard Parcel, the Cook Parcel, the Gecse Parcel, and the Pierson Parcel were conveyed out of a common parcel of land formerly owned by Ernest V. Holmes (Holmes).

9. The original conveyance of the Lombard Parcel is by deed dated July 15, 1944, recorded in Book 1870, at Page 115. It describes its southerly boundary as being 110 feet, more or less, along a “road leading around the Cedar swamp at Small Gains.”

10. The Cook Parcel, originally conveyed by deed on May 1, 1953, recorded in Book 2582, at Page 361, describes the southerly boundary of that parcel as 140 feet, more or less, along “an old woods road which leads around Small Gains Swamp.”

11. The deeds in evidence pertaining to the conveyance of the Gecse Parcel do not mention a road along the parcel’s northerly boundary; however, the initial deed of the Gecse Parcel from Holmes is not in evidence.

12. The Pierson Parcel was originally conveyed by deed dated April 30, 1938, recorded in Book 1751, at Page 524. The deed describes its southerly boundary as being about 210 feet along a “road leading through old field at Small Gains.”

13. The October 7, 1986 description of the Lombard Parcel in Book 7190, at Page 121 is the same as the July 15, 1944 description in Book 1870, at Page 115, and all of the deeds in the chain of title for the Lombard Parcel contain substantially the same unambiguous description of the parcel. The description uses both distances and monuments in describing the Lombard Parcel.

14. The November 24, 1992 description of the Cook Parcel in Book 11497, at Page 217 is substantially the same as the description of that parcel in Book 2582, at Page 361, and all of the deeds in the chain of title for the Cook Parcel, from the May 1, 1953 deed in Book 2582, at Page 361 to the November 24, 1992 deed in Book 11497, at Page 217, contain substantially the same description of the parcel.

15. The Cooks are the grantees of an Easement Deed from Four Seasons Builders, Inc., dated October 21, 2002, recorded in Book 23185, at Page 309. See Exhibit 24.

16. The Lombards argue the Lombard Parcel’s southerly boundary is as shown on Trial Chalk D as “location of cart path or woods road by this office” (Lombard Line). See Chalk D, a modified copy of which is attached hereto as “Decision Sketch,” with the court’s notations.

17. Gecse argues the location of the southerly boundary of the Lombard Parcel is as shown on Trial Chalk D as “12’ Wide Access/Egress Easement granted by Four Seasons Builders, Inc. to Edward E. & Evelyn R. Cook” (Gecse Line). the Lombards did not introduce any evidence regarding where on the ground the “road leading around the Cedar Swamp at Small Gains” was located in 1944.

18. Gecse, who purchased the Gecse Parcel after the litigation had commenced, had no record or actual notice of the extent of the Lombards’ claim prior to purchasing. No lis pendens was recorded within the Gecse chain of title.

* * * * * *

The only issue before this court is the location of the southerly boundary of the Lombard Parcel. This boundary line is described in the July 15, 1944 deed creating the Lombard Parcel as a “road leading around the Cedar swamp at Small Gains.” See Book 1870, at Page 115; see also Book 7190, at Page 121. The placement of that road is not only determinative of the Lombard Parcel’s southerly boundary, but also informs the court whether the easement granted to the Cooks from Four Seasons Builders, Gecse’s predecessors-in-title, is valid (Cook Easement). If this court agrees with the Lombards that the southerly boundary is the Lombard Line, then the Cook Easement is a nullity because at the time of the grant, Four Seasons Builders did not own the land over which the easement travels. A grantor can only grant an easement over land the grantor owns. See JON W. BRUCE & JAMES W. ELY, JR., THE LAW OF EASEMENTS AND LICENSES IN LAND, § 3:4 (2012) (“Any person with a possessory interest in land may create an easement burdening that person’s interest.”). If, however, this court agrees with Gecse, that the Gecse Line is the southerly boundary of the Lombard Parcel, then the easement is valid because at the time of the grant, Four Seasons Builders held title to the land over which it granted the Cook Easement.

As the party asserting this quiet title action, the Lombards bear the burden of proving that the Lombard Line is the location of the southerly boundary of the Lombard Parcel. See Sheriff’s Meadow Found., Inc. v. Bay-Courte Edgartown, Inc., 401 Mass. 267 , 269 (1987) (“Plaintiff has the burden of establishing its title” and such burden “requires the plaintiff to prove sufficient title to succeed in its action.”). The Lombards did not proffer credible evidence that would allow this court to conclude that in 1944 the “road leading around the Cedar swamp at Small Gains,” is the Lombard Line.

For the reasons stated below, this court finds that the southerly boundary of the Lombard Parcel is what is referred to at trial and herein as the Gecse Line, which is shown on the Decision Sketch and on a plan recorded with the Registry in Plan Book 45, Plan 54. [Note 8] When presented with expert surveying and title testimony, a court must assess the opinions offered. The court must decide which surveyor and title expert it finds more credible, basing such assessment on the experts’ analyses, taking into account the other evidence presented, including the documentary evidence, particularly the deeds and plans that lend support and corroboration to each opinion. With respect to the location of the southerly boundary line of the Lombard Parcel, this court finds the expert opinions of William Doucet, Gecse’s surveyor, and title attorney John F. Troy more persuasive and their analyses, taken together, are better supported by the weight of the evidence than those proferred by the Lombards. The location of the Gecse Line is consonant with the record deeds and plans, particularly the distances and monuments contained in the description of the Lombard Parcel which is, according to Gecse’s title expert, a “parallelogram type shape,” and the descriptions of abutting parcels. [Note 9] The line is also consistent with the many acts taken by the Lombards over the years. [Note 10]

The Lombard Line, on the other hand, was not supported by any evidence of where on the ground the “road leading around the Cedar swamp at Small Gains” was located in 1944. In addition, the location of the Lombard Line is at variance with the weight of the documentary evidence and cannot be reconciled with the distance calls in the Lombard Deed. Nonetheless, the Lombards have argued that the distances in the Lombard Deed must give way to the monument of the “road leading around Cedar swamp at Small Gains.” This is a circular argument since there is no evidence of exactly where that road was located as of the date of the Lombard Deed and the deed itself is not ambiguous and contains distances and monuments with a description that closes, consistent with the location of the Gecse Line.

Even assuming ambiguity in the Lombard Deed description, the only evidence proffered by the Lombards to support their position as to the road’s location in 1944 is a U.S.G.S. map dated 1939, showing a road in the vicinity of the Lombard Line. See Exhibit 47. This map depicts a road traveling in a southwesterly direction from Black Cat Road; however, its exact location in comparison to the Lombard and Cook Parcels cannot be determined with certainty. This exhibit was admitted in evidence for the limited purpose of showing that a way was in existence on the ground between the period of 1938 and 1952, but not for the purpose of determining its precise location. See this court’s ruling dated April 21, 2010, on Defendant Gecse’s Motion in Limine. Therefore, the U.S.G.S. map does not aid this court in determining the precise location of the Lombard Line circa 1944.

Furthermore, the Lombards are unable to overcome the inconsistency between their position and the distance calls in the description of the Lombard Parcel, created by the placement of the Lombard Line. See Exhibits 13 and 14. The only argument offered by the Lombards to counter this discrepancy is that because a road existed in the location of the Lombard Line and monuments control over distances, the distances in the Lombard Parcel deeds must yield to the location of the road. Such theory is contingent upon the Lombards being able to locate the road on which they rely with some certainty. See Ryan v. Stavros, 348 Mass. 251 , 258-59 (1964). This court finds, however, that the location of the road is not capable of being made certain from the evidence. Thus, without the road as a monument, the distances in the Lombard Parcel deeds do not yield to any monument and remain to inform the court’s determination.

For the reasons stated above, this court finds that the southerly boundary of the Lombard Parcel is the Gecse Line, depicted on the plan recorded with the Plymouth County Registry in Book 45, Plan 54, also as shown on the Decision Sketch attached hereto as “Gecse Line: 12’ Wide Access/Egress Easement granted by Four Seasons Builders, Inc. to Edward E. & Evelyn R. Cook.”

Judgment to issue accordingly.


Decision Sketch

Sketch of area


FOOTNOTES

[Note 1] Gecse was substituted as a defendant for Federal National Mortgage Association, which had been substituted for the Bianchis, its mortgagors.

[Note 2] Procedurally, G. L. c. 240, §§ 1-5 would compel Plaintiffs to file a complaint pursuant to the statute. However, all parties agreed that Plaintiffs’ May 10th answer was substantively acceptable, and the case would proceed upon the Lombards’ complaint and Defendant’s Answer, since the issues were fully joined.

[Note 3] Gecse filed an additional Motion in Limine on June 25, 2010, to exclude the expert testimony of Plaintiffs’ substituted expert, John W. Delano, which Gecse claimed was unfairly prejudical to him. This court granted Defendant’s motion by order dated July 15, 2010, finding that the witness was not adequately prepared and did not provide substantive answers to the questions posed to Delano by counsel for Gecse at Delano’s deposition.

Plaintiffs filed a Motion for Reconsideration on July 22, 2010, which was opposed by Gecse. Although this court did not rule on Plaintiffs’ Motion for Reconsideration, this issue is now moot as John W. Delano testified as an expert witness at trial without objection.

[Note 4] Prior to trial, a question was raised concerning whether some of the parties previously had entered into an agreement regarding the location of the southerly boundary of Plaintiffs’ land. The parties agreed that any question regarding the alleged agreement would be set aside until the conclusion of the trial.

[Note 5] See also material facts no. 3 and 7.

[Note 6] The Lombard Parcel is also comprised of Lots 30 and 3, conveyed in Book 5637, at Page 316, but that deed is not in evidence. See Exhibit 34.

[Note 7] This court does not reach the issue of estoppel as the decision adopts the Gecse Line of the road as the Lombard Parcel’s southerly boundary.

[Note 8] As this court finds that the location of the southerly boundary of the Lombard Parcel is the Gecse Line, it does not reach the claims of estoppel, lack of notice, and adverse possession asserted by Gecse.

[Note 9] The Lombard Parcel is described as measuring one hundred ten feet on the northwest and south sides, and one hundred fifty feet on the southwest and east sides. The monumentation includes, on the northwest, the road leading to Briggs’ bog; on the southwest, land of Cadoza [a/k/a Cardoza] and Holmes; on the south, the road leading around the Cedar swamp at Small Gains; and on the east, land now or formerly of Correa. (Exhibits 13, 14)

[Note 10] The Lombards erected a fence and planted trees along and parallel to the Gecse Line, among other actions. They also caused a plan of land to be prepared and recorded which places the southern boundary of their parcel in the location of the Gecse Line, and adopted the Gecse Line in connection with prior litigation. See Exhibits 2, 31.