Home REGAN McCARTHY v. ROBERT McDERMOTT, ELLEN McDERMOTT and MAKHAIL ZAKIN

MISC 04-302995

August 7, 2012

Long, J.

MEMORANDUM AND ORDER ON PLAINTIFF'S RULE 60(b)

Related Cases:

Introduction

This case was brought to determine the location of the common boundary between abutting properties in Truro. Both the trial and the judgment that followed were based on a central, agreed fact: the entirety of the defendants' property was contained within the boundaries of the land conveyed in an 1838 deed (Paine to Small, Apr. 2, 1838, Barnstable Registry of Deeds Book 41, page 180) (hereafter "41/180") and thus the common boundary did not extend beyond the lines of the land described in the 41/180 deed. It now appears that this may not be true.

Nine months before trial, by deed from Charles Francis, Jr. (Francis to McDermott/Zakin, Aug. 15, 2006) (hereafter, the "new deed"), the defendants acquired additional land to the south of 41/180 (more precisely, Mr. Francis' interest, if any, in that additional land) that may also abut the plaintiff's property, leaving that portion of the common boundary unadjudicated. That the adjudication is thus incomplete is entirely the defendants' fault. The new deed was not recorded until April 2012 - years after trial and long after judgment was entered - and its existence was never disclosed to the plaintiff or this court. The plaintiff only learned of it after checking the Registry, and this court only after the plaintiff filed the present motion.

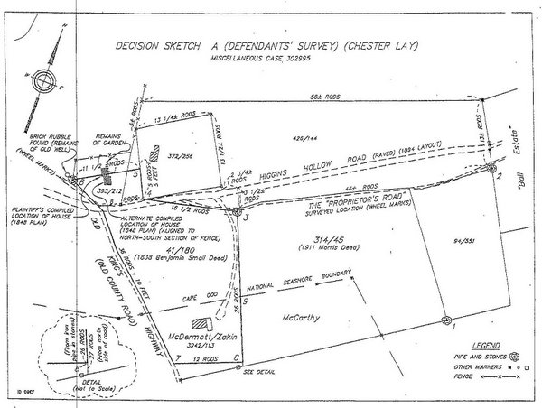
The plaintiff has now moved to vacate the judgment and re-open these proceedings pursuant to Mass. R. Civ. P. 60(b)(2) (newly discovered evidence) and Mass. R. Civ. P. 60(b)(3) (fraud or other misconduct of a party). That motion is DENIED IN PART and ALLOWED IN PART. This court will not revisit its determination of the common boundary line between the plaintiff and the 41/180 portion of defendants' land. It was, and remains, the line between points 8 and 9 as shown on Decision Sketch A (attached). Nor will this court revisit its determination of the location of point 7 and thus the southern boundary of the defendants' land insofar as it derives from the 41/180 deed (the line between points 7 and 8). Contrary to the plaintiff's contentions, neither the new deed nor the circumstances underlying the new deed affect those determinations in any way. The judgment, however, purported to adjudicate the entirety of the parties' common boundary (the relief requested in the plaintiff's complaint) and, because of the new deed, may not have done so. Accordingly, the judgment is VACATED and these proceedings RE-OPENED to determine, and only to determine (1) whether Mr. Francis owned the land south of 41/180 he purported to convey to the defendants and, depending upon that answer (2) the common boundary line between that land and the plaintiff's.

Discussion

As noted above, this case is a dispute between the owners of abutting properties in Truro regarding the location of their common boundary. It was tried, and judgment was based, on an agreed fact: the defendants' land was a portion of a larger tract described in an 1838 deed from Jeremiah Paine to Benjamin Small (41/180) [Note 1] Thus, the common boundary could not go beyond the lines of 41/180. Anything more was a nullity unless it originated in a different source. See Bongaards v. Millen, 440 Mass. 10 , 15 (2003). No other source was identified, evidenced or argued at trial.

The defendants, through their surveyor Chester Lay, argued three different alternatives for the location of the eastern and southern boundaries of 41/180. [Note 2]

The first, and the one I found persuasive, used 41/180's 36 rod 10 feet western measurement starting from the existing iron pipe and stones at point 6, the 26 rod eastern measurement starting from the existing iron pipe and stones at point 3, and the 12 rod measurement described in 41/180 as its southern length, to determine the southwestern and southeastern corners of 41/180 (points 7 and 8) and thus the common boundary line between 41/180 and the plaintiff's property (the straight line between points 8 and 9). See Decision Sketch A; Decision at 10-17; Memorandum and Order on Plaintiff's Motion for New Trial and to Amend Findings (Aug. 2, 2011).

The second alternative used a 27 rod distance on the east - the length of the call for the western boundary of an abutting property as described in the 1911 Morris deed (Heirs of Joseph and Louisa Morris to James Morris (Sept. 7, 1911), recorded in the Barnstable Registry of Deeds at Book 314, page 45) ("314/45")) [Note 3] - beginning at a more northerly starting point than the 26 rod measurement in 41/180. [Note 4] Unlike the first alternative, it did not result in a confident location for the southeastern corner of 41/180 and was thus rejected. [Note 5]

The defendants' third alternative disregarded 41/180's western, eastern and southern distance measurements entirely, focused solely on the southern abutter ("lands of Doane Rich") as the controlling guide, and claimed that the lands of Doane Rich began at the straight line shown on Decision Sketch A below the point 7 to point 8 line (the "straight line theory"). It too was unpersuasive. The parties agreed that the immediate southern abutter was "the lands of Doane Rich." Statement of Agreed Facts at 5, ¶21. But the boundary between 41/180 and those lands was not the straight line shown on Decision Sketch A, parallel with another straight line further south. Sec Trial Ex. 113A (Lorraine S. Francis parcel). The defendants' contention that it was that straight line is simply incorrect. The distance measurements in 41/180 are given specifically, not as "more or less," [Note 6] and are inconsistent with that straight line. Instead, they produce an angle at the south. See Decision Sketch A (the line between point 7 and point 8). The Doane Rich lands bordered this angle. [Note 7]

My findings regarding the southern boundary of 41/180 showed the existence of a gap between that parcel and the Lorraine Francis property to the south. [Note 8] The defendants claimed ownership of the bulk of this gap in Plan Book 610, Page 69 (May 11, 2006) ("610/69"), but had no record title basis to do so. [Note 9] In recognition of this, the defendants obtained a deed from the person whom they believed owned this "missing" land, Mr. Charles Francis Jr., granting them the entirety of his interest, if any, in the land within 610/69. [Note 10] They did so nine months before trial. Deed, Charles Francis Jr. to Robert McDermott, Ellen McDermott and Mikhail Zakin (Aug. 15, 2006) (the "new deed"). However, they neither recorded the deed nor disclosed its existence to the plaintiff or this court. In fact the deed was recorded only recently, long after the trial concluded and judgment entered, and discovered by the plaintiff only after it was recorded. Barnstable Registry of Deeds, Book 26248, page 257 (Apr. 17, 2012). On this basis, the plaintiff has now moved to vacate the judgment pursuant to Mass. R. Civ. P. 60(b)(2) (newly discovered evidence) and Mass. R. Civ. P. 60(b)(3) (fraud or other misconduct of a party). The new deed, plaintiff argues, shows that the defendants lied when they said their title derived solely from 41/180 and caused the case to be tried on a falsehood, leading to the wrong result.

To vacate a judgment pursuant to Mass. R. Civ. P. 60(b)(2), the newly discovered evidence must not only be "new" but also "credible, material, admissible, and likely (if believed) to affect the outcome." J. Smith & H. Zobel, 7 Massachusetts Practice (Rules Practice) 2nd Ed., §60.8 at 377, 379 (2011-2012 Supp.), citing Wojicki v. Caragher, 447 Mass. 200 , 215 (2006); Cahaly v. Benistar Property Exchange Trust Co., Inc., 68 Mass. App. Ct. 668 , 674 (2007). Similarly, to vacate a judgment pursuant to Mass. R. Civ. P. 60(b)(3), the fraud or misconduct must be "result-affecting chicanery." Id., §60.9 at 379. "Mere failure to disclose colorably pertinent facts to the opponent or to the court does not rise (or fall) to the level of fraud on the court." Id., §60.9 at 380, citing Winthrop Corp. v. Lowenthal, 29 Mass. App. Ct. 180 , 184 (1990).

I agree that the new deed should have been disclosed to the plaintiff and to this court at the time it was executed and delivered. [Note 11] I agree that its absence from the case caused an incomplete adjudication in the sense that the parties' common boundary beyond the edge of 41/180 has not been addressed. But it would not have changed, and does not change, this court's judgment of the parties' common boundary line insofar as the defendants' title derives from 41/180. Months of work, on both sides, went into searching the titles for both the plaintiff's and defendants' land. The parties, their counsel, and their surveyors and title examiners all agreed that the defendants' title (pre-new deed) derived solely from 41/180. See Statement of Agreed Facts at 2-3, 4. The parties, their counsel, and their surveyors and title examiners all agreed that neither Mr. Francis nor any of his predecessors were in the 41/180 chain. Id. at 2-3 (chain of title for defendants' land). The parties, their counsel, and their surveyors and title examiners located the boundaries of 41/180 based on their competing analyses of the same deeds, plans and physical features. There is nothing to suggest, and certainly no affidavit from the plaintiff's expert to suggest, that any of these analyses would have changed with the disclosure of the new deed. Indeed, it could not have changed any of these analyses because it post-dated (2006) all the relevant evidence in the case. At best, it could only have affected my assessment of the credibility of Mr. Lay's testimony in support of defendants' "straight line" theory (perhaps the reason the defendants did not disclose it) but, as related above, I did not find that testimony credible in any event.

The new deed, however, leaves unadjudicated the common boundary between that property and the plaintiff's. There may be no common boundary in that location, either because the plaintiff's parcel does not extend below point 8 or, if it does, because it does not go as far west as the 610/69 line (see Exhibit 1, attached). [Note 12] It is also possible that Mr. Francis had nothing to convey (his chain of title has not yet been adjudicated in this case). These points must be addressed to grant the relief sought by the plaintiff in this case - the adjudication of the complete common boundary line between the plaintiff and the defendants.

Conclusion

For the reasons set forth above, the judgment is VACATED and these proceedings RE-OPENED to determine, and only to determine (1) whether Mr. Francis owned the land south of 41/180 he purported to convey to the defendants and, depending upon that answer (2) the common boundary line between that land and the plaintiff's. The parties shall contact the session clerk to schedule a status conference for the purpose of establishing the future course of these proceedings.

SO ORDERED.


Exhibit 1

Exhibit 1 Sketch of Area


Decision Sketch A

Decision Sketch A (Defendants' Survey)


FOOTNOTES

[Note 1] See Statement of Agreed Facts at 2, ¶ 2.a; 4, ¶ 12; Decision at 6-7.

[Note 2] The plaintiff argued a fourth alternative (see Decision Sketch B), which I found unpersuasive. See Decision at 5-8, 10-17 (Aug. 2, 2010).

[Note 3] The plaintiff's property derives from the 314/45 deed. See Decision at 8-10.

[Note 4] This second alternative continued to use the same western and southern measurements as the first alternative. The difference in the eastern measurement as located by Mr. Lay brought the common boundary a bit further south than the first alternative, putting the southern boundary at a slightly different angle.

[Note 5] This second alternative relied on at least two assumptions: first, that the defendants' surveyor, Chester Lay, had accurately re-created the beginning point of the 27 rod measurement (the stake and stones referenced in the 314/45 deed no longer exists), and second, that the end point of the 27 rods (the southwestern corner of 314/45) was also the end point of 41/180 (its southeastern corner). Both of these assumptions raised questions. The lack of anything currently "on the ground" to indicate the location of the now-absent stake and stones described in 314/45, coupled with the vagueness of tile description of where that stake and stones had been located ("on the north side of the proprietor's road"), made Mr. Lay's location of the beginning point less than certain, to say the least. A beginning point for the 27 rods only 6-1/4 feet further north of Mr. Lay's location would have made its end point identical with the 26 rod measurement in 41/180. More fundamentally, the two parcels (314/45 and 41/180) do not necessarily end at the same place. Indeed, both parties' surveyors seemingly believe that 314/45 extends south of 41/180. See Decision Sketch A and Decision Sketch B.

[Note 6] The "more or less" description in the deed refers solely to the area of the overall parcel.

[Note 7] The distances in 41/180 arc described specifically and the primary monuments referenced are "stakes and stones," giving confidence to the accuracy of the measurements. As such, they are strong proof that the abutting properties were at the end points of those distances. The line of the southern abutter would thus have followed the point 7 to point 8 angle, not the straight line below it. This is consistent with the deed descriptions for the southern abutter which give abutter calls for their boundaries, not metes and bounds or plans.

The primary support for defendants' "straight line" theory was their surveyor, Chester Lay's speculation that the then-abutting parcel on the south was a "wood lot" and "the majority of the wood lots in this area are rectangular with parallel lines." (Trial Transcript, Day 8 at 101-102). I did not find this credible. First, there is no particular reason why the abutting parcel to the south should be considered simply a "wood lot." It was on Old County Road (now Old King's Highway) and thus an accessible and attractive site for a home or other structure. Second, there is no reason why even a "wood lot" could only have parallel straight-line boundaries in this instance where the deed used the abutting properties as monuments. Third, even Mr. Lay admits there are exceptions to his "parallel straight line" theory for wood lot boundaries. He did not say all wood lots in this area had parallel, straight-line boundaries; only the majority of them.

[Note 8] So did the defendants' testimony (Mr. Lay's first and second alternative locations for 41/180 discussed above, see Trial Ex. 113A) and the plaintiff’s testimony (see Decision Sketch B). Lorraine Francis received her property by deed from Charles Francis Jr., who conveyed her the land depicted in Plan Book 556, Page 28 (Feb. 29, 2000). That plan, created by Chester Lay prior to the extensive additional work he undertook in connection with this case, has the "straight line" boundary referenced above as its northern line. See Decision Sketch A and Trial Ex. 113A.

[Note 9] As noted above, at the time that plan was filed, the defendants' sole source of title was the 41/180 chain.

[Note 10] The relationship between the eastern and southern boundaries of 41/180 and the lines of Plan Book 610, Page 69 is shown on the attached Exhibit 1. Since the defendants could not be sure exactly where the court would locate the eastern and southern boundaries of 41/180 (note that they themselves proposed three different locations), the deed conveyed the entirety of Mr. Francis' interest in 610/69, "if any."

[Note 11] I find it difficult to believe that the defendants simply "forgot" about it.

[Note 12] If the defendants wish to claim the area east of 610/69 and south on the point 8 to point 9 line as far as the Lorraine Francis parcel, they must obtain the relevant deeds before trial resumes. I will not reopen this case again.