Home JAY LINGERMAN and JANET LINGERMAN v. 6 MILL ROAD, LLC, and ROBERT GAMBLE, BENJAMIN FIERRO, LEWIS VLAHOS, ROGER LEBLANC, WILLIAM PAGE, and KERI MACRAE as members of the Town of Ipswich Zoning Board of Appeals.

MISC 12-470365

April 2, 2014

Essex, ss.

Long, J.

MEMORANDUM AND ORDER ON PENDING MOTIONS

With:

Introduction

The above captioned cases are part of a series of lawsuits—some of which have been stayed pending resolution of these motions—which relate to Raymond and Linda Gosselin’s efforts to establish a commercial horse farm on property they own in Ipswich.

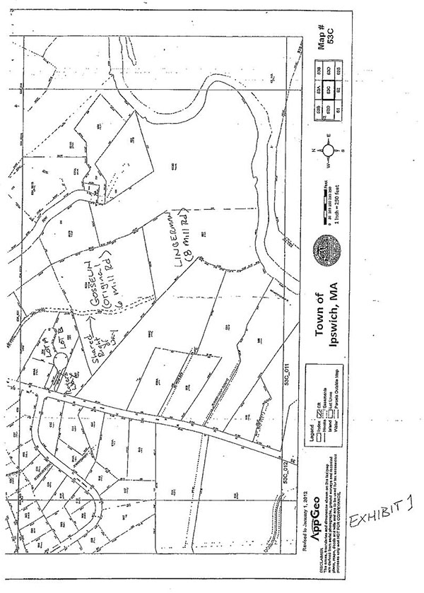
In 2009, the Gosselins bought 6 Mill Road, a 12 acre parcel of land containing a single-family home, a barn with seven horse stalls, and an indoor riding facility. See Exhibit 1, labeled “Original 6 Mill Rd.”, attached. In 2010, the Ipswich Planning Board granted the Gosselins site plan approval to operate a commercial horse farm on the property and to construct a ten stall addition to the existing barn and enlarge and relocate the indoor riding facility. Jay and Janet Lingerman, who live at 8 Mill Road abutting the Gosselin property (see Ex. 1), appealed that decision to this court, contending that site plan approval was invalid since the Gosselin property lacked frontage and was only created by a 1973 variance that expressly limited use of the property to a single-family dwelling. See Complaint 10 MISC. 433458 (KCL) (now stayed).

After obtaining site plan approval, the Gosselins received a building permit from the building inspector to enlarge their barn. The Lingermans appealed that permit to the Ipswich Zoning Board, contending, once again, that a commercial horse farm was prohibited because the Gosselins lacked frontage and the 1973 variance condition limited their property to a single-family use. In a November 2010 decision, the Zoning Board agreed and overturned the building permit, finding that the commercial horse farm violated the condition of the 1973 variance. The Gosselins then appealed that decision to this court. See Complaint 10 MISC. 443251 (KCL) (now stayed).

In 2011, the Gosselins applied for a special permit from the Planning Board to add a barn manager’s apartment to the second floor of the existing barn on their property. The Planning Board denied the special permit, relying in large part on the earlier decision of the Zoning Board that prohibited use of the property for a commercial horse farm. The Gosselins appealed that decision to this court. See Complaint 11 MISC. 449548 (KCL) (now stayed).

While these cases were pending, Roger LeBlanc, the owner of 14 Mill Road abutting the Gosselin property, obtained approval from the Planning Board to subdivide his two acre property into two lots, Lot A and Lot B, each of about an acre. See Ex. 1, attached. In February 2012, the Gosselins bought Lot B, which has legal frontage on Rogers Way, and combined it with 6 Mill Road with the intent of solving their frontage problem.

Now, with the reconfigured 6 Mill Road, the Gosselins obtained a Temporary Use and Occupancy Permit from the building inspector allowing them to operate their commercial stable and indoor riding arena. The Lingermans appealed the permit to the Zoning Board, which this time held in favor of the Gosselins, finding the 1973 variance condition no longer controlling since the Gosselin property now had sufficient legal frontage on Rogers Way. In October 2012, the Gosselins also obtained the special permit they had previously sought from the Planning Board to add the barn manager’s apartment as an accessory use. The Lingermans have appealed both of these decisions. See Complaint 12 MISC. 470365 (KCL) (Zoning Board appeal) and Complaint 12 MISC. 473875 (KCL) (Planning Board appeal). These are the cases at issue in these motions.

The Gosselins have moved to dismiss 12 MISC. 473875, contending that the Lingermans lack standing to pursue their appeal. The Lingermans have moved for summary judgment in both 12 MISC. 470365 and 473875, and the Gosselins then cross-moved for summary judgment in 12 MISC. 470365. The Zoning and Planning Boards have joined in the Gosselins’ motions, although on different grounds.

Under the Ipswich Zoning Bylaw, lots in the RRA (Rural Residence A) zoning district generally must contain at least two acres. The Lingermans contend the Bylaw provides an exception from this requirement, allowing a division of a two acre lot into separate, one acre lots, only in connection with the development of a new single-family dwelling on the newly created lot. They contend the Gosselins violated this exception when they combined Lot B with 6 Mill Road to gain frontage, instead of keeping it as a separate lot and developing a single-family home. The Lingermans also argue that there were procedural defects in connection with the Planning Board’s special permit for the barn manager’s apartment that require the nullification of that permit. The Gosselins and the town boards disagree. For the reasons set forth below, the Gosselins’ motion to dismiss 12 MISC. 473875 is DENIED. The Lingermans’ motion for summary judgment in 12 MISC. 470365 and 473875 is DENIED, and the Gosselins’ cross-motion for summary judgment in 470365 is ALLOWED. Additionally, summary judgment is also ALLOWED in favor of the Gosselins in 12 MISC. 473875. See Mass. R. Civ. P. 56(c) (summary judgment may be entered against the moving party).

Facts

Summary judgment may be entered when there are no genuine disputes of material fact on the claims put in issue by the motion, and the moving party is entitled to judgment on these undisputed facts as a matter of law. Mass. R. Civ. P. 56(c); Ng Bros. Constr. v. Crannery, 436 Mass. 638 , 643-644 (2002). When considering a motion for summary judgment, the court “does not pass upon the credibility of witnesses or the weight of the evidence or make its own decision of facts.” Atty. Gen. v. Bailey, 386 Mass. 367 , 370 (1982) (citations omitted). All material facts must be viewed, and all reasonable inferences from those facts must be drawn, in the light most favorable to the party opposing the motion. Id. at 371.

Case numbers 433459 (Lingermans’ appeal of site plan approval), 443251 (Gosselins’ appeal of Zoning Board’s decision to overturn building permit) and 449548 (Gosselins’ appeal of Planning Board’s denial of special permit for a barn manager’s apartment) have been stayed since the Gosselins now contend they have the required frontage, and therefore the 1973 variance condition, on which these three cases all depend, no longer controls. See Order (May 1, 2012). I thus focus on the facts relating to the Gosselins’ acquisition of Lot B from their neighbor, Roger LeBlanc, which they now rely on to cure their lack of frontage.

The following facts are not in dispute.

Combination of 6 Mill Road and Lot B of the LeBlanc Subdivision

On May 19, 2011, Roger LeBlanc, [Note 1] the owner of 14 Mill Road abutting the Gosselin property, obtained approval from the Planning Board to subdivide his two acre lot (108,900 square feet) into two lots, Lot A (44,399 square feet) and Lot B (56,483 square feet), with the remaining land used to create Rogers Way, a new subdivision road.

The Gosselins purchased Lot B from Mr. LeBlanc by deed dated February 23, 2012 and recorded in the registry the next day, February 24, 2012. On February 23, the Gosselins conveyed Lot B and 6 Mill Road to 6 Mill Road LLC, managed by Mr. Gosselin. That deed was also recorded in the Registry on February 24, 2012 and contained the following language: “meaning and intending to have the aforesaid lots combined for zoning purposes and treated therefor as one lot.”

At the time the Gosselins combined 6 Mill Road with Lot B, the Zoning Bylaw generally required single-family lots in the RRA zoning district to have at least 87,120 square feet (two acres). See Ipswich Zoning Bylaw, Table of Dimensional and Density Regulations at 33 (Amended through October 2011). The Table also allowed for lots of 43,560 square feet (one acre) in the RRA zoning district so long as the requirements contained in Footnote 26 to the Table of Dimensional and Density Regulations were met. Footnote 26 provided

This requirement [of one acre] shall apply to: (a) all conforming lots in existence as of the effective date of this bylaw; and (b) all developments that fulfill the requirements of Section IX.I (Inclusionary Housing Requirements) or are expressly exempted from said Section IX.I requirements because they create only one single family detached dwelling or attached dwelling, provided that a suitable restriction is recorded in the Essex South Registry of Deeds prohibiting the creation of additional units on the lot(s).

See Zoning Bylaw at 39 (Oct. 2011). Section IX.I of the Zoning Bylaw, regarding inclusionary housing requirements, states that the requirements are intended to increase the supply of housing available to low and moderate income households, encourage a greater diversity of housing accommodations, and develop and maintain a proportion of the town’s housing stock as affordable units. See Zoning Bylaw, Section IX.I(1)(a-c) at 84 (Oct. 2011). These goals are accomplished by the requirements contained in Section IX.I(3)(a-c) which mandate that developers of multi-family or single-family developments must either provide a certain number of affordable units or pay an affordable housing fee to the town. The inclusionary requirements applied to

(a) Any multi-family residential development subject to approval by special permit; and

(b) Any proposed residential development in the RRA, RRB, and RRC Districts that would create two or more single-family detached or attached dwellings for which compliance with this subsection I. is required in the Table of Dimensional and Density Regulations (Section VI.).

Zoning Bylaw, Section IX.I(2)(a-b) at 84-85 (Oct. 2011). The next sentence of Section IX.I(2)(b) provides an exemption from the inclusionary requirements, stating,

Developments that create only one single-family detached or attached dwelling are exempt from the provisions of subsection I [Inclusionary Housing Requirements] so that the minimum lot sizes of the new lot and the remaining parcel are 43,560 square feet each…provided that a suitable restriction is recorded in the Essex South Registry of Deeds prohibiting the creation of additional units on the property.

Zoning Bylaw, Section IX.I(2)(b) at 85 (Oct. 2011).

On March 29, 2012, the Lingermans wrote to the building inspector requesting an enforcement action prohibiting the Gosselins’ combination of 6 Mill Road with Lot B. In that letter, they contend, “Lot B was created pursuant to section IX.I.2.b and the Table of Dimensional and Density Regulations of the Town of Ipswich Zoning By-law, which section exists to foster the creation of affordable housing. As such, Lot B must remain a stand alone, 56,483 square foot lot that is ‘permanently available to and affordable by low and moderate-income households” and cannot be combined with 6 Mill Road as proposed by the Gosselins….” See Plaintiffs’ Exhibit 11.

The building inspector denied the enforcement request, contending that it was not ripe since no permit had issued allowing the Gosselins to operate a commercial horse farm and therefore, in his view, the Gosselin property continued to comply with the 1973 variance condition limiting it to a single-family use. See Plaintiffs’ Ex. 12 (Building inspector letter).

In April 2012, the Lingermans timely appealed the building inspector’s refusal to issue an enforcement action to the Zoning Board. A few months later, in June 2012, the building inspector issued a Temporary Certificate of Use and Occupancy to the Gosselins allowing them to operate their barn and indoor riding arena for commercial purposes. The Lingermans also appealed this permit to the Zoning Board.

On July 19, 2012, the Zoning Board held a combined public hearing on the Lingermans’ two zoning appeals. The public hearing closed on August 17, 2012 with the Zoning Board voting four to one to deny the Lingermans’ request to overturn the decisions of the building inspector. In its decision, the Zoning Board found that the LeBlanc subdivision was exempt from both the two acre lot requirement and the inclusionary housing requirements pursuant to Section IX.I(2)(b) of the Zoning Bylaw. The Board also concluded that under the exemption afforded by Section IX.I(2)(b) there was no prohibition against combining the newly created Lot B with 6 Mill Road. Now that the Gosselins had adequate frontage along Rogers Way by virtue of the newly acquired Lot B, the Zoning Board found the 1973 variance condition was “no longer controlling as to the [Gosselin] property.” Zoning Board Decision at 2 (Aug. 30, 2012). The Lingermans appealed the decision to this court in 12 MISC. 470365

Special Permit for a Barn Manager’s Apartment

In May 2012, the Gosselins filed a second application with the Planning Board (the first was denied on June 8, 2011 and is the subject of 11 MISC. 449548) for a special permit allowing them to construct a barn manager’s apartment on the second floor of the horse barn. The Planning Board held an initial public hearing on July 5, 2012, which was continued to August 16, 2012. When the hearing resumed in August, the Planning Board voted three to two in favor of granting the special permit, but this vote failed to get the necessary four votes of a five member board as required by G.L. c. 40A, § 9.

After that August vote, the Planning Board did not file a decision with the town clerk. Instead, at its meeting on October 25, 2012, a member of the Planning Board who had originally voted against the special permit made a motion to reconsider the August vote. This time, the Planning Board voted five to zero to grant the special permit subject to the Gosselins complying with 18 conditions. The Board filed its written decision with the town clerk on October 31, 2012. The Lingermans appealed the decision in 12 MISC. 473875, alleging a variety of procedural defects which they contend requires the permit be annulled.

Analysis

The Lingermans’ Standing to Pursue these Appeals

In both their motion to dismiss and their motion for summary judgment, the Gosselins contend that the Lingermans lack standing to bring these appeals. I disagree. Persons aggrieved by a zoning decision have standing to file an appeal with the court. See G.L. c. 40A, § 17. As abutters, the Lingermans enjoy a rebuttable presumption that they are persons aggrieved. See Marashlian v. Zoning Bd. of Appeals of Newburyport, 421 Mass. 719 , 721-22 (1996). “A party challenging the presumption of aggrievement must offer evidence warranting a finding contrary to the presumed fact.” Kenner v. Zoning Bd. of Appeals of Chatham, 459 Mass. 115 , 118 (2011) (internal quotations and citations omitted). In the summary judgment context, “[i]t is enough that the moving party demonstrate[], by reference to material described in Mass. R. Civ. P. 56(c), unmet by countervailing materials, that the party opposing the motion has no reasonable expectation of proving a legally cognizable injury.” Standerwick v. Zoning Bd. of Appeals of Andover, 447 Mass. 20 , 35 (2006) (quotations and citations omitted) (finding developer successfully rebutted plaintiffs’ presumption of standing through unchallenged expert affidavits).

The Gosselins submitted affidavits from Mr. Gosselin and seven others who currently board their horses or work at the Gosselin property. These affidavits fail to rebut the Lingermans’ presumption of standing. [Note 2] They do no more than simply deny some of the alleged harms by repeating the assertion that in the course of visiting the Gosselin property, they have not seen the Lingermans have any trouble using a shared right of way that provides access to Mill Road. See Standerwick, 447 Mass. at 37 (“It is not sufficient for a defendant to simply file a motion for summary judgment, or to deny the plaintiffs’ allegations.”). [Note 3]

The Validity of the Reconfigured 6 Mill Road

Having determined that the Lingermans’ presumption of standing has not been rebutted, I now turn to the merits of their appeals. The Lingermans contend the Zoning Bylaw only allows a two acre lot to be divided in connection with a development that creates a single-family dwelling and thus the Gosselins cannot use Lot B simply to solve their lack of frontage. The Zoning Board rejected that argument in its August 30, 2012 decision refusing to overturn the Gosselins’ Temporary Certificate of Occupancy. In a G.L. c. 40A, § 17 appeal, “a judge must give ‘substantial deference’ to a board’s interpretation of its zoning bylaws and ordinances.” Wendy’s Old Fashioned Hamburgers of New York, Inc. v. Bd. of Appeal of Billerica, 454 Mass. 374 , 381 (2009). See also Mellendick v. Zoning Bd. of Appeals of Edgartown, 69 Mass. App. Ct. 852 , 857 (2007) (“the reasonable construction that a zoning board of appeals gives to the by-laws it is charged with implementing is entitled to deference,” quoting Cameron v. DiVirgilio, 55 Mass. App. Ct. 24 , 29 (2002)); Duteau v. Zoning Bd. of Appeals of Webster, 47 Mass. App. Ct. 664 , 669 (1999) (deference owed to local zoning board because of its “home grown knowledge about the history and purpose of its town’s zoning bylaw”), and other cases cited in Wendy’s, 454 Mass. at 381.

When the LeBlanc lot was subdivided and Lot B combined with the Gosselins’ 6 Mill Road in February 2012, the Zoning Bylaw then in effect provided, “[d]evelopments that create only one single-family detached or attached dwelling are exempt from the provisions of subsection I. [inclusionary housing requirements] so that the minimum lot sizes of the new lot and the remaining parcel are 43,560 square feet each…provided that a suitable restriction is recorded at the Essex South Registry of Deeds prohibiting the creation of additional units on the property.” Zoning Bylaw, Section IX.I(2)(b) (Oct. 2011). [Note 4] According to the Lingermans, this “subsection evidences the Town’s view that allowing one-acre lots, in contrast to two acre lots, will advance the supply of affordable housing in Ipswich” and the combination of Lot B and 6 Mill Road defeats this intent by simply producing a larger 6 Mill Road. See Brief in Support of Plaintiffs’ Motion for Summary Judgment at 8.

The Lingermans misapprehend the purpose of Section IX.I(2)(b). This provision is not intended to increase affordable housing in Ipswich. By its plain language, it specifically exempts a division of land into two one acre lots from having to comply with the inclusionary housing requirements. Thus a landowner who divides his parcel under this exemption is not required to comply with the detailed requirements found in Section IX.I(3), which provide that in multi-family or single-family residential developments, a developer must provide a certain amount of affordable housing units or pay an affordable housing fee to the town. See Zoning Bylaw, Section IX.I(3)(a-c).

In its decision upholding the Gosselins’ Temporary Certificate of Occupancy, the Zoning Board specifically found that the LeBlanc subdivision was “exempt from…the Inclusionary Housing Requirements, under the provisions of IX.I 2 (b)….” See Decision at 2 (Aug. 30, 2012). [Note 5] Further reflecting the Zoning Board’s interpretation that Section IX.I(2)(b) was not intended to increase the affordable housing stock in the town, the Board noted that under the provisions of that section, “there is no prohibition [against] the combining [of neighboring lots].” Certainly, if the goal of Section IX.I(2)(b) was, as the Lingermans contend, to increase affordable housing, the Bylaw would have included such a prohibition against combining the newly created lot with a neighboring parcel.

The Lingermans also contest the LeBlanc subdivision and subsequent combination of Lot B and 6 Mill Road because they contend it is not a development that creates a single-family dwelling as required by Section IX.I(2)(b). [Note 6] Thus, according to the Lingermans, the subdivision is valid only if Lot B exists as a stand-alone lot and the Gosselins build a single-family home on it. [Note 7] But, as discussed above, the Zoning Board noted in its decision that Section IX.I(2)(b) provides an exemption from inclusionary housing requirements. It is not a mechanism that is intended to increase the town’s housing stock, and it does not prohibit what the Gosselins did here, which was to combine the newly created Lot B with their existing property at 6 Mill Road.

The Lingermans’ contention that a single-family dwelling must be constructed on Lot B is moot in any event since Section IX.I(2)(b) has been recently amended, striking any references to the development of a “dwelling” and now reading, “[d]evelopments that create only one single-family buildable lot are exempt from the provisions of subsection I.3.c” if the new lot and the remaining lot are each at least one acre (emphasis added). See Warrant, Article 12 (Oct. 15, 2013) (approved by the Attorney General’s Office on January 13, 2014); see also Sullivan v. Bd. of Appeals of Canton, 348 Mass. 793 (1965) (bill in equity to annul building permit was moot because valid zoning amendment placed land in less-restrictive zone).

Special Permit for Barn Manager’s Apartment

G.L. c. 40A, § 16 provides that no application that has been unfavorably acted upon by the special permit granting authority shall be acted favorably upon within two years unless the special permit granting authority finds by a vote of four members of a five member board that there have been “specific and material changes in the conditions upon which the previous unfavorable action was based, and describes such changes in the record of its proceedings….” See G.L. c. 40A, § 17.

Here, the Planning Board had previously denied the Gosselins’ application for a special permit allowing construction of a barn manager’s apartment on June 8, 2011 because the Zoning Board at that time found the 1973 variance condition limited use of the property to a single-family dwelling, and a barn manager’s apartment could only be accessory to a commercial use. See Special Permit Decision (Jun. 8, 2011). The Planning Board’s October 31, 2012 decision granting the special permit does not specifically mention the Gosselins’ acquisition of Lot B and the frontage it supplied, which rendered the 1973 variance no longer controlling. But there can be no mistake that this was a material change in the conditions on which the Planning Board’s June 2011 denial rested. Furthermore, the Lingermans were not caught by surprise by the Gosselins’ second special permit application. The Planning Board’s October 25, 2012 meeting was publicly noticed, indicating on the agenda that the Board would either accept its August 2012 vote as a denial decision or re-vote on the application. See Planning Board Oct. 25, 2012 Meeting Agenda. Mr. Lingerman had actual notice of the October meeting, was in attendance with his attorney and spoke on the Gosselins’ application. I thus find, as a matter of law, that the Planning Board’s decision to issue a special permit for a barn manager’s apartment properly complied with G.L. c. 40A, § 16.

The Lingermans also contend that the October 25 revote was impermissible since a decision should have been filed with the town clerk after the vote on August 16, 2012. G.L. c. 40A, § 9 provides that the decision of a special permit granting authority must be made within 90 days following the close of the public hearing. A “final action” within the meaning of § 9 “occur[s] when the board record[s] with the [town] clerk the result of its vote on the [] application.” Bd. of Aldermen of Newton v. Maniace, 429 Mass. 726 , 731 (1999) (filing with city clerk provided basis for defendants’ right to appeal and prevented constructive approval through inaction). Here, the Planning Board never filed the August 16 vote with the town clerk, and thus it had not taken “final action” on the Gosselins’ application. [Note 8] The Board could, therefore, reconsider that vote and take “final action”, as it did here, within 90 days of the public hearing.

Because the Planning Board never filed its August 2012 vote with the town clerk, Potter v. Bd. Appeals of Mansfield, 1 Mass. App. Ct. 89 (1973), cited by the Lingermans, is inapplicable. There, the Mansfield Board filed a decision denying a building permit with the town clerk and then, a few months later, filed a second decision with the town clerk, this time granting the building permit with a variety of conditions. The Appeals Court recognized the authority of a board to amend a decision so long as the amendment is within the scope of the petition and does not change the result of the original decision. Id. at 95. But the Appeals Court held that the second decision could not be construed as an amendment of the first, and was ineffective as a separate decision since it failed to comply with the notice requirements provided in the statute. Id. at 96. Here, the Planning Board’s October 2012 decision cannot be interpreted as an impermissible amendment since nothing had ever been filed with the town clerk previously, and thus, there was nothing to amend. There was only one decision filed with the town clerk on October 31, 2012 and that constitutes the “final action” on the Gosselins’ application. Bd. of Aldermen of Newton v. Maniace, 429 Mass. at 731. The Planning Board’s final action came within 90 days of the close of the public hearing on August 16, 2012, and was thus valid under G.L. c. 40A, § 9.

Conclusion

For foregoing reasons, the Gosselins’ motion to dismiss 12 MISC. 473875 for lack of standing is DENIED. The Lingermans’ motion for summary judgment in 12 MISC. 470365 and 473875 is DENIED. The Gosselins’ cross-motion for summary judgment in 470365 is ALLOWED. Summary judgment is also ALLOWED in favor of the Gosselins in 12 MISC. 473875. See Mass. R. Civ. P. 56(c).

Judgment shall enter accordingly.

In light of this ruling, the parties shall contact the court by May 2, 2014, in writing, with their positions regarding whether or not case numbers 10 MISC. 433458, 10 MISC. 443251, and 11 MISC. 449548, all presently stayed, should be dismissed as moot.

SO ORDERED.


exhibit 1

Exhibit 1


FOOTNOTES

[Note 1] Mr. LeBlanc is a member of the Zoning Board and is named as a defendant in 12 MISC. 470365. He did not, however, participate in the Zoning Board’s decision at issue in that case.

[Note 2] The Gosselins also contend that the Lingermans lack standing, as a matter of law, since the commercial boarding of horses is a permitted use in the RRA zoning district. The Gosselins, however, ignore the fact that 6 Mill Road was originally created by the 1973 variance, which limited use of their property to a singe-family dwelling. If, as the Lingermans contend, the Gosselins improperly cured their lack of frontage by combining 6 Mill Road and Lot B, then the condition of the 1973 variance remains in force and the commercial horse farm would not be permitted.

[Note 3] If anything, these affidavits substantiate the Lingermans’ claim of aggrievement, since each affidavit repeats identical language, which states, “Several times per week I have had the opportunity to visit the barn located on the [Gosselin] property…I have had the opportunity to pass along the right of way on the way to the barn and on the way back from the barn several times per week….” (emphasis added). These affidavits—seven individuals each attesting to the fact they now use the right of way several times per week—demonstrate that vehicle traffic has increased greatly along the shared right of way.

[Note 4] Section IX.I(2)(b) was amended slightly in October 2012 to read:

Developments that create only one single-family detached dwelling are exempt from the provisions of subsection I.3.c. if the minimum lot sizes of the new lot and the remaining parcel are 43,560 square feet each….In exchange for an exemption from the requirements of this subsection, the Applicant must record a restriction in the Essex South Registry of Deeds prohibiting the creation of additional buildable lots having a lot size of less than two acres.

See Attachment “A” to Lingermans’ Brief in Support of Plaintiffs’ Motion for Summary Judgment. This amendment does not change the analysis since this language only clarifies that the exemption is from Section IX.I.(3)(c), which mandates the provision of an affordable housing unit or an affordable housing fee for single-family developments of less than 10 units. Sections IX.I(3)(a-b) apply to multi-family residential developments and single-family developments of 10 or more dwellings, respectively.

[Note 5] According to the Ipswich Planning Director, Glenn Gibbs, the Zoning Board’s decision is consistent with at least 10 other two-lot developments in which the building inspector determined that the division of a two acre lot into two separate one acre lots was not subject to the inclusionary housing requirements. See Affidavit of Glenn Gibbs ¶ 20 (April 10, 2013). The Lingermans have moved to strike other portions of Mr. Gibbs’ affidavit, not relied upon by the court, and thus no ruling is made on that motion.

[Note 6] At the time of the LeBlanc subdivision, Lot B contained a vacant guest house in addition to a single-family home on Lot A. See Planning Board Decision at 5 (Oct. 31, 2012) and Gosselin Access Plan (Defendants’ Ex. Q). The Gosselins have represented to the Planning Board that they intend to demolish both the guest house on Lot B and the presently vacant principal residence on the original 6 Mill Road lot and build a new principal residence on the newly reconfigured 6 Mill Road lot. See Planning Board Decision at 5.

[Note 7] The Lingermans contend they have no objection to the Gosselins building a single-family home on Lot B so long as 6 Mill Road remains a separate, single-family lot. See Brief in Support of Plaintiffs’ Motion for Summary Judgment at 13 n.8. Of course, that means 6 Mill Road would once again lack frontage and the 1973 variance condition, which prevents the Gosselins’ commercial horse farm, would remain in effect.

[Note 8] Once the Planning Board took its the final vote, G.L. c. 40A, § 9 requires a “a detailed record of its proceedings, indicating the vote of each member…and setting forth clearly the reason for its decision and of its official actions” to be filed with the town clerk within 14 days. Here, the Planning Board filed its vote and its reasons in a single document on October 31, 2012 although G.L. c. 40A, § 9 allows the vote and the board’s reasons to be filed separately. Maniace, 429 Mass. at 731-32 (“While nothing in the statute compelled the record of the board’s proceedings on the defendants’ application to be filed contemporaneously with the vote, the board was obligated by § 9 to make and file such record within fourteen days of the board’s vote, including the reasons for its action”).