Home JANINE M. DOMINA, JAMES R. LABRIE, and LAURIE ANN NULPH, as they are Trustees of the R & L GOLDEN ACRES REALTY TRUST, v. CITY OF WESTFIELD, SUPERINTENDENT OF BUILDINGS OF WESTFIELD, and PLANNING BOARD OF WESTFIELD consisting of the following individuals who are named herein solely in their official capacity: Randy Racine, Christopher Wilkie, Peter Fiordalice, Jane Magarian, Phillip McEwan, William Onyski, Ramon Rivera, Raymond St. Hilaire, and Matthew VanHeynigen; and ROBERT C. MARTIN, ROBERT R. CHAMPAGNE & SHEILA J. CHAMPAGNE, NORMAND F. CHAMPAGNE & KELLY M. CHAMPAGNE, JOSEPH R. DIONNE & LORRAINE A. DIONNE, DAVID SATTLER & DARLENE L. SATTLER, and RAYMOND A. CHAMPAGNE & JOLANTA H. CHAMPAGNE.

MISC 13-476775

May 9, 2018

Hampden, ss.

FOSTER, J.

JUDGMENT

Janine M. Domina, James R. Labrie, and Laurie Ann Nulph, as they are Trustees of the R & L Golden Acres Realty Trust (R & L) filed their Complaint in this action on February 22, 2013. The City of Westfield, together with the Superintendent of Buildings of Westfield, and the Planning Board of Westfield (collectively the City) filed the Answer of Defendants with Affirmative Defenses on March 15, 2013. R & L's Amended Complaint was deemed filed on July 10, 2013. The City filed its answer to the amended complaint on August 5, 2013. The Answer of Robert C. Martin, Robert R. Champagne, Sheila J. Champagne, Normand F. Champagne, Kelly M. Champagne, Joseph R. Dionne, Lorraine A. Dionne, David Sattler, Darlene L. Sattler, Raymond A. Champagne, and Jolanta H. Champagne (the Individual Defendants) was filed on September 9, 2013. On May 18, 2016, a Settlement Agreement between R & L and the City was filed, and the settlement was reported to the court during a telephone conference call on June 21, 2016.

The parties' Joint Pre-Trial Memorandum was filed on January 4, 2017, in which R & L stipulated that it waives or has settled all of its claims set forth in the Amended Complaint, with the exception of its Fourth Claim for Relief as against the Individual Defendants only. The pre- trial conference was held on January 19, 2017. R & L filed Plaintiff's Motion in Limine to Exclude Evidence on February 6, 2017. R & L's motion in limine was allowed on March 15, 2017. The Plaintiffs' First Amendment to Joint Pre-Trial Memorandum was filed on September 5, 2017. The Defendants Motion to Strike Plaintiff's Amended Pre-Trial Memorandum or in the Alternative Motion in Limine to Limit Expert Testimony to the Disclosure Provided Prior to June 19, 2017, was filed on September 20, 2017. The Plaintiffs' Opposition to Defendants' Motion to Strike was filed on September 22, 2017. The Defendants' motion to strike was allowed in part on September 25, 2017. The court took a View on October 2, 2017. A Trial was held on October 2 and 3, 2017. The Transcript of the Trial was filed on November 13, 2017. R & L's Post-Trial Memorandum was filed on January 9, 2018. The Defendants' Champagne Post Hearing Brief was filed on January 10, 2018. The court heard closing arguments on January 30, 2018, and took the case under advisement. In a decision of even date, the court (Foster, J.) has made findings of fact and rulings of law.

In accordance with the court's Decision issued today, it is

ORDERED and ADJUDGED that the claims of the Amended Complaint against the City are DISMISSED without prejudice. It is further

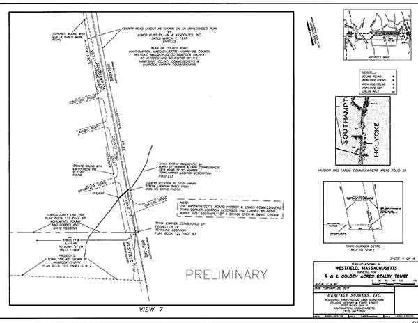
ORDERED, ADJUDGED, and DECLARED that the boundary line separating the City of Westfield and the Town of Southampton (the town line) is located as shown on a plan entitled "Plan of Roadway in Westfield, Massachusetts Surveyed for R & L Golden Acres Realty Trust" dated February 22, 2017 (the Watson Plan). The Watson Plan is attached as Exhibit A. It is further

ORDERED, ADJUDGED, and DECLARED that a road, known as Old Long Pond Road, laid out by the Town of Westfield along the town line in 1816, was laid out as a public way, has never been discontinued, and thus is an existing public way in the City of Westfield. It is further

ORDERED, ADJUDGED, and DECLARED that Old Long Pond Road is located as shown on the Watson Plan, beginning at State Route 10 in the City of Westfield and running east along the town line to the point where it intersects with Old Stage Road. It is further

ORDERED, ADJUDGED, and DECLARED that upon payment of all required fees, this Judgment or a certified copy of this Judgment may be recorded at the Hampden County Registry of Deeds and marginally referenced on all relevant documents.

By the Court.


exhibit 1

Exhibit A-1


exhibit 2

Exhbit A-2


exhibit 3

Exhibit A-3


exhibit 4

Exhibit A-4