Home ANTHONY PELULLO as trustee of the Pelullo Family Trust v. H&R DEVELOPMENT LLC, NATICK UPLAND LLC, MICHAEL WARE and LISA WARE

MISC 10-431229

January 14, 2013

MIDDLESEX, ss.

Long, J.

DECISION

Introduction

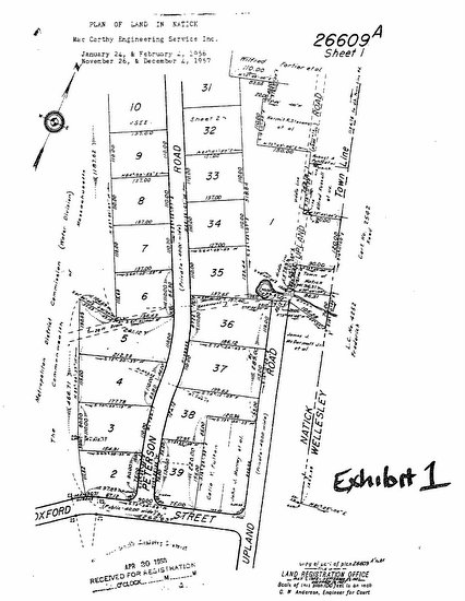
Plaintiff Anthony Pelullo, as trustee of the Pelullo Family Trust, is the owner of a single family residence at 40 Oxford Street in Natick where his parents and predecessors in title, Donato and Isabel Pelullo, [Note 1] have lived since April, 1957. Mr. Pelullo brought this action seeking declaratory and injunctive relief and damages against the defendant H&R Development LLC (“H&R”), contending that H&R’s development of a shared, private way made the way substantially less convenient and useful to him and his parents. Upland Road (“the way”) is a 40 foot wide, private way that separates the Pelullo lot to the west of the way from the lots once owned by H&R to the east. See Exhibit 1, attached. [Note 2] At the time of trial, Mr. Pelullo and H&R each owned to the centerline of Upland Road with easement rights over the other party’s half of the way pursuant to a settlement agreement in an earlier action, which was entered as a judgment of this court. [Note 3] See Pelullo v. H&R Development, LLC, Case No. 05 MISC. 310596 (KFS), Declaratory Judgment and Order, at 2 (Oct. 3, 2008).

Mr. Pelullo’s parents have lived at 40 Oxford Street for over 50 years. For much of that time, Upland Road was an undeveloped and unimproved way. The Pelullo house and garage front on Oxford Street, and Upland Road was used by them solely for access to the rear of their house and their backyard, neither of which could be reached by vehicle otherwise. Broadly speaking, the Pelullos’ backyard has two sections. There is a lower yard near the rear of the home that is relatively flat. This lower yard extends northward on a slope, leading to an upper yard where a storage shed is located. The Pelullos used Upland Road to access both the lower and upper portions of their backyard. They were able to drive a vehicle from Upland Road to the back of their house in the lower yard for loading and unloading items in their basement (there is no other practical vehicular access to the basement), and a cart path extending off the western boundary of Upland Road allowed the Pelullos to access their shed and enabled them to drive a trailer carrying their 17 foot boat from Upland Road to their upper yard for storage.

In the fall of 2009, H&R submitted an ANR plan [Note 4] to the Natick Planning Board for endorsement. The plan divided H&R’s property into two lots, which it hoped would be buildable. [Note 5] H&R also submitted a street improvement plan depicting various alterations it wished to make to Upland Road in order to provide vehicular access to these lots. After obtaining the Planning Board’s endorsement, but without consultation with the Pelullos, H&R moved forward with its improvement plan. These improvements involved substantial changes to the grade of Upland Road, elevating it five feet above its former level, which had been flush with the Pelullo property. H&R also removed trees on the portion of the way owned by Mr. Pelullo. This grade change eliminated access to the cart path leading to Mr. Pelullo’s upper yard and also eliminated direct vehicular access to the rear of the Pelullo house.

Mr. Pelullo contends these alterations were unreasonable and have deprived him and his parents of vehicular access to their backyard, thus rendering their use of Upland Road “less convenient and useful to an appreciable extent.” Killion v. Kelley, 120 Mass. 47 , 52 (1876). H&R disagrees, contending that Upland Road is now greatly improved from its prior condition and the access plan H&R proposes will provide the Pelullos access to their yard that is “substantially the same or better” than what they had.

The case was tried before me, jury-waived. After the trial concluded, the lots that were owned by H&R were foreclosed and sold at auction. They were subsequently conveyed, subject to a lis pendens giving notice of this action, and are now owned by Natick Upland LLC and Michael and Lisa Ware. Mr. Pelullo has filed a motion for leave to amend his complaint to add Natick Upland and the Wares as parties in this case. For the reasons set forth below, that motion is ALLOWED. Based on the testimony and exhibits admitted into evidence at trial, my assessment of the credibility, weight, and inferences to be drawn from that evidence, and as more fully set forth below, I find that H&R’s changes to Upland Road made the way less convenient and useful to the Pelullos to an appreciable extent. The parties were each directed to submit plans that would restore such access, with the court choosing one. The Pellulos’ proposal is attached as Exhibit 2. H&R’s proposal is attached as Exhibit 3. As discussed more fully below, H&R’s plan fails to provide the Pelullos with practical and legally sufficient access to their yard. The Pelullos’ plan best restores such access and, for the reasons set forth below, must be implemented and paid for either by H&R, Natick Upland LLC, or the Wares. No use may be made of Upland Road by any of the defendants until it is. I also find that H&R acted willfully and without permission when it removed several trees on Mr. Pelullo’s half of Upland Road, but damages are limited to the value of the timber that was lost.

Facts

These are the facts as I find them after trial.

Anthony Pelullo, as trustee for the Pelullo Family Trust, acquired title to 40 Oxford Street in Natick by deed dated May 22, 2010 from his parents, Donato and Isabel Pelullo. They had purchased the property on April 9, 1957 and have lived there ever since. The Pelullo property has approximately 26,400 square feet of land, fronts on Oxford Street (a public way), and is bounded on its eastern side by Upland Road. Upland Road is a 40 foot wide private way, shown on a plan dated April 17, 1911 and recorded with the Middlesex (South) Registry of Deeds in Plan Book 194, Plan 39 and also on Land Court Plan No. 26609A. See Ex. 1. Prior to the work performed by H&R in 2010, the details of which are described below, Upland Road was a dirt roadway with a rolling topography that sloped downward from Oxford Street, reaching a low area near the back of the Pelullo house, and then continued on an upward slope toward the northern edge of the Pelullo property. The Pelullos were its only regular users.

Prior to H&R’s work, Upland Road largely followed the contours of the Pelullos’ backyard, which has a lower yard area near their house and an upper yard area upslope to the north. Because Upland Road aligned with the topography of the Pelullo yard, Mr. Pelullo and his parents could transition easily from the way to the lower yard to access the basement at the rear of the house. They used this access point to load their truck for weekend hunting trips, and to offload food to store in their basement freezer. A cart path also extends off Upland Road and gradually slopes upward to Mr. Pelullo’s upper yard area. The Pelullos used the cart path to push a wheelbarrow to their storage shed when performing maintenance in the yard. They also used the path to back a trailer carrying their 17 foot boat up into the upper yard for storage. The hill leading from the lower yard to the upper yard is steep and transporting heavy items to the storage shed cannot be achieved with the same ease afforded by the gradual slope of the cart path. The Pelullos have regularly maintained the cart path by removing brush that grew in the path area.

H&R acquired two parcels of land on the opposite side of Upland Road by deed from the Estate of Edra A. McDermott dated October 31, 2002. The first parcel consisted of land in Wellesley that has frontage on Edgemoor Avenue. The Wellesley parcel was divided and developed into residential properties around 2002. The second parcel, across from the Pelullos, straddles the Natick and Wellesley town lines and has approximately 509 feet of frontage along Upland Road. In 2005, H&R sought ANR endorsement from the Natick Planning Board for its plan to subdivide its land along Upland Road into three lots. It also submitted a proposal to make changes to Upland Road to allow for vehicular access to its lots.

Shortly after H&R submitted its plans to the Planning Board, Mr. Pelullo’s parents filed suit seeking title to the entire 40 foot width of Upland Road under a theory of adverse possession. On October 3, 2008, the parties reached an agreement in that case and the court entered an agreed judgment, providing that pursuant to G.L. c. 183, § 58, the Pelullos and H&R each owned to the centerline of Upland Road, and H&R had easement rights to use Upland Road “for all purposes which ways may be utilized in the Town of Natick, MA.” See Pelullo v. H&R Development, LLC, Case No. 05 MISC. 310596 (KFS), Declaratory Judgment and Order, at 2 (Oct. 3, 2008).

In the fall of 2009, H&R once again appeared before the Natick Planning Board with a street improvement plan for Upland Road and, this time, an ANR plan that divided its property into two lots. Although H&R never notified the Pelullos about the extent of its plan for Upland Road, the Pelullos became aware of the project and voiced their opposition at three separate Planning Board meetings—July 22, 2009, September 9, 2009, and November 4, 2009.

During this same period, at the direction of the Planning Board, the Natick town engineer, Mark Coviello, met with H&R’s engineer and made various recommendations for the Upland Road improvement plan such as reducing the centerline grade to a maximum 10% slope, widening the roadway to 16 feet with a Cape Cod berm on both sides and making adjustments to the storm water drainage system. The planning board instructed H&R to incorporate Mr. Coviello’s recommendations into its revised plans. On November 18, 2009, H&R returned to the Planning Board with a street improvement plan reflecting Mr. Coviello’s recommendations.

Mr. Coviello wanted a mechanism to ensure that construction would be done according to the revised street improvement plan. The Planning Board crafted such a mechanism by endorsing H&R’s ANR plan, but adding the following notation to it: “Lot 1A and Lot 1B shall not be considered buildable lots until and unless the frontage of these lots has been improved to a paved width of not less than 16 feet…and the completion of the street improvement as detailed on the plan ‘Proposed Street Improvement Plan’ dated revised 11/16/2009 prepared by Foresite Engineering, Inc.”

During the spring of 2010, H&R moved forward with the construction of its revised street improvement plan. The low area of Upland Road was filled in, thereby elevating the grade of the way five feet above the Pelullo property and creating a steep incline along the eastern edge of the property for approximately 125 feet. In effect, a five foot tall wall was built between the Pelullos’ backyard and the new roadway. This eliminated the Pelullos’ access to the cart path from Upland Road, and thereby cut off their access to their upper yard where they stored their boat and used the storage shed. This elevation and incline also cut off their access to their lower yard. In addition to these grade changes, H&R cut down five trees, one near the centerline of Upland Road, and four on the side of Upland Road owned by Mr. Pelullo. H&R never consulted with or requested permission from the Pelullos to remove these trees.

On June 3, 2010, Mr. Pelullo brought this action against H&R and moved for a preliminary injunction to enjoin H&R from proceeding with its construction on Upland Road. The motion was denied at that time. Both H&R and the Pelullos, however, were ordered to cooperate in the design and implementation of a plan that would provide Mr. Pelullo with “direct and easy access” to his upper yard that would be “adequate and appropriate for his boat and other uses.” The cost associated with designing and implementing this access plan was to be borne by H&R. Memorandum and Order Denying the Plaintiff’s Motion for Preliminary Injunction, (June 17, 2010).

On June 28, 2010 the parties’ counsel, Mr. Pelullo’s engineer (Daniel Merrikin), and the town’s engineer (Mr. Coviello) met at the site. For reasons never justified, H&R’s engineer, Scott Hays, did not attend. Perhaps in consequence, the parties were unable to agree on an access plan for the Pelullo property. Both sides were then ordered to submit their proposed access plans and informed that the court would choose one or the other after hearing the evidence at trial. A six day trial then took place.

The Pelullo plan (Exhibit 2), drafted by Mr. Merrikin, seeks to construct an off-ramp that would extend off the western side of Upland Road and realign with what remains of the cart path leading up to Mr. Pelullo’s upper yard. Because of the changes to the grade of Upland Road, however, the Pelullo plan cannot restore the formerly easy access from Upland Road to the rear of the Pelullo house.

The H&R plan (Exhibit 3) proposes two points of access to the upper yard of the Pelullo property. Access point A is located toward the northern boundary of the Pelullo property and has approximately a 15% incline from Upland Road to the Pelullo property. Access point B is located roughly halfway between access point A and Oxford Street. This access point is situated between two trees and has both a cross-slope from right to left along Upland Road and a vertical slope in the transition area from Upland Road to the Pelullo property. The H&R plan also contains access point D at the intersection of Oxford Street and Upland Road, which, H&R contends, offers the Pelullos access to the rear of the house.

Additional facts are set forth in the analysis section below.

Analysis

Pelullo’s Claims Against H&R

“It is well settled that where there are several owners in common of a private way, each owner may make reasonable repairs which do not injuriously affect his co-owners, but he cannot make any alteration of the course of the way, or any change in grade or surface, which makes the way less convenient and useful to any appreciable extent to anyone who has an equal right in the way.” Killion, 120 Mass. at 52 (internal citations omitted); see also Crowley v. J. C. Ryan Construction, Inc., 356 Mass. 31 , 35 (1969) (same). An easement holder has the right to make the way passable and useable while having “due regard to the rights and interests of others.” Guillet v. Livernois, 297 Mass. 337 , 340 (1937). “Whether improvements made are reasonable in view of the equal rights of others is largely a question of fact.” Id. at 341.

Upland Road was laid out in 1911 as a 40 foot wide, private way that was clearly intended to provide access to the lots along it, including the property H&R sought to develop. In its unimproved state, Upland Road may have provided suitable access in 1911, but as an easement holder, H&R had the right to make reasonable improvements to the topography and grade of the way to make it safe for vehicular access in accordance with contemporary standards. See Swensen v. Marino, 306 Mass. 582 , 587 (1940) (“We should be very slow to hold that even ancient rights of way, not expressly restricted as to the type of vehicle…could not be employed at all for the means of transportation in common use by a succeeding generation”); Glenn v. Poole, 12 Mass. App. Ct. 292 , 295 (1981) (holding, in the law of easements, that progression in the means of transportation is a normal development which “accords with common experience”).

Mr. Pelullo contends that H&R’s changes to Upland Road were unreasonable because they were unnecessary, for essentially two reasons. He argues that H&R could have left Upland Road untouched if it had constructed a cul de sac off Edgemoor Avenue in Wellesley or, in the alternative, could have located the paved roadway closer to the eastern edge of Upland Road so that it directly abutted H&R’s property line, thereby leaving the Pelullos’ access off Upland Road intact. I disagree.

H&R’s principal, Sanjeev Singh, testified that implementing the cul de sac proposal would have decreased the value of the Wellesley lots he was developing. He also testified that he did not believe such a proposal would comply with Wellesley’s subdivision regulations. Mr. Pelullo’s argument also plainly ignores the rights H&R had “to use [Upland Road] for all purposes which ways may be utilized in the Town of Natick.” See Pelullo v. H&R Development, LLC, Case No. 05 MISC. 310596 (KFS), Declaratory Judgment and Order at 2 (Oct. 3, 2008). H&R was not required to abandon its easement rights to pursue a financially riskier development scheme.

I also find that H&R’s placement of the paved roadway at its location within the 40 foot width of Upland Road was reasonable. See Guillet, 297 Mass. at 340 (easement holder has rights in the entire width of the way subject to the rights and interests of others). I recognize, however, that the process that led to this location and certain of the road’s details was unusual. The road was placed in that location at Mr. Coviello’s recommendation, and then required by the Natick Planning Board, legally or not, as a condition of its ANR endorsement. [Note 6] Other than reviewing street plans in subdivision proposals, Mr. Coviello testified it was not common for him to review plans like the one H&R submitted. In his thirteen years as town engineer, he has reviewed only four proposals to construct a street that fell outside the subdivision control process. The Town of Natick has no published standards for the construction of a road for proponents who submit a plan for ANR endorsement. Rather, the recommendations Mr. Coviello made for H&R’s street improvement plan were based solely on his own engineering experience and judgment and his work on prior projects he deemed similar to H&R’s.

Despite this, and although Mr. Coviello was not working from any approved Town guidelines, his recommendations were not unreasonable or without a legitimate basis. For instance, he recommended expanding the width of the paved way from 12 feet, as originally proposed by H&R, to 16 feet to safely accommodate two passing vehicles. He recommended reducing the maximum centerline grade to 10 percent to ensure the safety of emergency vehicles and public works vehicles, which provide services like snow plowing and trash removal to unaccepted, private ways in Natick.

An earlier engineering plan developed by H&R did locate the paved roadway immediately next to the H&R property line, but that plan was changed after Mr. Coviello recommended leaving a 5 foot wide strip between the paved road and H&R’s lot line so that a sidewalk could be constructed. Mr. Coviello cited two safety concerns for maintaining this 5 foot strip. First, it provides a shoulder area for vehicles to swerve in an emergency. As Mr. Coviello testified, if there was no room between the street and the property line, a property owner could potentially erect a fence along his property line that could limit the room to maneuver in an emergency. Second, the 5 foot strip also provides room for snow storage when the road is plowed in the winter. H&R moved the paved road to the west, and thus closer to Mr. Pelullo’s property, to comply with Mr. Coviello’s recommendation.

H&R’s error was not in making improvements to Upland Road, which it had the right to do, or in attempting to comply with Mr. Coviello’s recommendations, which were reasonable ones. What H&R failed to grasp is that the right of an easement holder to make improvements to a way is constrained by the requirement that changes be made with “due regard” to the rights of others and that the easement not be made “less convenient and useful to any appreciable extent to any one who has an equal right in the way.” Guillet, 297 Mass. at 340; Killion, 120 Mass. at 52.

During the planning phase and the implementation of the street improvement plan, H&R showed little regard for the Pelullos and their rights to use Upland Road in a manner that was convenient and useful to them. Mr. Singh testified that after settling the lawsuit over the Pelullos’ rights to Upland Road, H&R developed a new street improvement plan without any consultation with the Pelullos. H&R never explained at any Planning Board meeting that access to the Pelullos’ cart path would be eliminated by its plan. H&R did not discuss any grade changes with the Pelullos even though those changes produced a steep, five foot incline that rises like a wall above the Pelullo property. Even after the court ordered the parties to meet and cooperate on an access plan that would address the Pelullos’ legitimate needs for access, H&R’s engineer did not attend.

Simply put, H&R’s proposed access plan fails to provide Mr. Pelullo and his parents with sufficiently adequate access to their upper yard, as they once enjoyed. Access points A and B were not selected by H&R’s engineer, but by H&R’s site contractor. Both access points would require a 90 degree turn from Upland Road, which would be exceedingly difficult while driving a trailer with a 17 foot boat attached. Access point A has a 15% incline from Upland Road, which exceeds guidelines for driveways set by the Institute of Transportation Engineers. Such an incline presents a risk that the trailer hitch used for transporting the Pelullos’ boat could get stuck or dislodge from the vehicle towing the trailer. The difficulties associated with access point A were best demonstrated by H&R’s own video which showed that it took H&R’s representative three attempts to successfully align the trailer with the access point. The representative did not attempt to actually back the trailer into the upper yard, which would have been well-nigh impossible. Furthermore, the trailer used in the video did not contain a boat so the driver did not have to deal with the added complications of weight and an obstructed view. Access point B is located between two large trees, and has only a narrow 14 foot clearance. There is a vertical slope moving from Upland Road to the Pelullo property as well as a cross slope from left to right going up Upland Road which make maneuvering a vehicle with a boat trailer extremely difficult.

The evidence presented at trial demonstrated that Mr. Pelullo’s proposed access plan is superior. This plan, unlike H&R’s, was actually designed by an engineer. Mr. Merrikin prepared a topographical survey of Upland Road following H&R’s changes and designed a plan that takes into account the present condition of the way. The plan provides for an off-ramp feature that aligns with the remaining portion of the cart path, thus restoring the gradual transition from Upland Road to the upper yard that the Pelullos once had. This design also allows Mr. Pelullo to back his boat up into the upper yard without having to make challenging 90-degree turns up steep inclines as would be required with the H&R plan. The town’s engineer, Mr. Coviello, also affirmed that the Pelullo access plan was a feasible design that would restore access to the upper yard.

No plan—and certainly none that either party proposed—will restore easy access from Upland Road directly to the rear of the Pelullo house. Given the need to elevate Upland Road to reduce its grade—a reasonable improvement H&R was entitled to make in order to make its property accessible—access to the rear of the house will have to come over the Pelullos’ own property from the new, rear yard access point. This is an inevitable consequence of elevating the roadway. Because such elevation was inevitable, because H&R had the right to elevate the way to access its property, and because access to the Pellullos’ lower yard can come from the upper yard (albeit over the Pellulos’ own property) which will now be accessible via the new off-ramp leading to the upper yard, nothing, legally, is required to restore direct access from Upland Road to the lower yard.

Mr. Pelullo also seeks damages for H&R’s removal of mature trees located within the width of Upland Road. According to a plan developed by Mr. Merrikin, there are five trees at issue: one was located near the centerline of Upland Road, and four others were located outside the paved roadway on the Pelullos’ half of the way. In order to accommodate Mr. Coviello’s recommendation to maintain a 5 foot buffer between the paved road and H&R’s lots, the tree located near the centerline had to be removed, and thus a claim for compensation for this tree does not stand.

As discussed below, H&R’s removal of the four trees on the Pelullos’ side of Upland Road, was unnecessary and intentional, and thus is a compensable damage. It does not, however, merit treble damages under G.L. c. 242, § 7. That statute provides:

A person who without license willfully cuts down, carries away, girdles or otherwise destroys trees, timber, wood, or underwood on the land of another shall be liable to the owner in tort for three times the amount of damages assessed therefore; but if it found that the defendant had good reason to believe that the land on which the trespass was committed was his own or that he was otherwise lawfully authorized to do the acts complained of, he shall be liable for single damages only.

The intentional cutting down of trees is a willful act within the meaning of the statute. See Palmer v. Davidson, 211 Mass. 556 , 558 (1912). H&R, however, is not subject to treble damages because it had reason to believe that its actions were lawful and within its rights as an easement holder. See Pelullo v. H&R Development, LLC, Case No. 05 MISC. 310596 (KFS), Declaratory Judgment and Order at 2 (Oct. 3, 2008) (“the Defendant [H&R] shall have the right to use the Disputed Upland Road Area for all purposes which ways may be utilized in the Town of Natick”). These facts are distinguishable from Ritter v. Bergmann, 14 LCR 387 (2006), where treble damages were warranted for the defendants’ removal of trees on the plaintiff’s property. In that case, unlike this one, the tree cutting was completely outside the easement area, in a location which the defendants had no credible reason to believe was theirs. Id. at 389.

Although H&R has rights in the entire width of Upland Road, and although its reliance on those rights protects it, in this instance, from treble damages, it is not immune from compensatory damages because those rights must be balanced against the rights of Mr. Pelullo. H&R may use the entire width of the way only when reasonably necessary for the full enjoyment of its property. See Tehan v. Sec. Nat’l Bank, 340 Mass. 176 , 182 (1959). H&R’s removal of trees on the Pelullo side of Upland Road was wrongful because such removal simply was not necessary for the development of its property. William Hrynewich, who supervised the construction for H&R, testified that the trees had to be removed because he wanted to make a cut on the Pelullo side of Upland Road in order to install a six inch water line. But the evidence did not show that the water line had to be installed on the side of Upland Road owned by Mr. Pelullo. In fact, an earlier engineering plan that H&R had prepared for Upland Road placed an eight inch water line on its side of Upland Road. When Mr. Hrynewich’s brother, who worked on the Upland Road construction, was asked if there was a reason the water line needed to be on the Pelullo property rather than the H&R property as originally had been planned, he could not think of one.

Mr. Pelullo contends the cost of restoration is the proper measure of damages for the loss of these trees. See Trinity Church in the City of Boston v. John Hancock Mutual Life Ins. Co., 399 Mass. 43 , 49-50 (1987). Other ways of measuring damages for trees wrongfully removed include a diminution in the market value of the property, see McMahon v. Krumrine, 353 Mass. 511 , 513 (1968), or determining the value of the timber that has been lost, see Larabee v. Potvin Lumber Co., 390 Mass. 636 , 643 (1983). In arguing for the cost of restoration, Mr. Pelullo presented the testimony of Joseph Kowalski, a certified arborist, who testified that the trunk formula method should be applied to appraise the value of the trees that were cut down. He explained that the value of smaller trees may be determined simply by finding a replacement at a nursery, but for mature trees that are too large to be replaced, the trunk formula method yields a value for a mature tree by first determining the cost of a replacement tree from a nursery, which will be of a smaller size, and then multiplying that value to account for the size of the tree that was actually lost. This number is then adjusted downward by accounting for factors such as species, condition, and location.

The facts presented at trial, however, do not support an award based on such a valuation method. Again, the facts of this case differ from Ritter, where the cost of restoration, calculated by the trunk formula method, was the appropriate measure of damages. In Ritter, approximately 5,000 square feet of a heavily wooded area was affected by the defendants’ tree removal. 14 LCR at 390. The result of this clearing was a dramatic loss in the privacy of the affected lot. Id. Here, there was no credible testimony that the four trees that Mr. Pelullo lost were critical, or even important, to maintaining the privacy of his property. In fact, Mr. Pelullo testified that when the trees came down, he spoke to William Hrynewich about compensation for the timber value of the trees or, in the alternative, using what remained of the trees for firewood. He made no mention of any loss of privacy and, indeed, the trees that were removed were not in locations, or of such a type or size, that materially added to the privacy of Pelullo home or property.

I do not credit the testimony that these four trees provided significant protection to the remaining trees on the Pelullo property, or that their removal has resulted in a detrimental increase in noise and light. The photographs introduced into evidence show that the Pelullo property along Upland Road remains a heavily wooded area. A restoration measure of damages is permissible when “reasonably necessary in light of the damage inflicted by a particular defendant,” and the amount would not “involve a very large and disproportionate expense to relieve from the consequences of a slight injury.” Trinity Church, 399 Mass. at 50 (internal citations and quotations omitted). Using the trunk formula method, Mr. Pelullo seeks $23,355 for the loss of the four trees on his side of Upland Road. Such an amount would be unreasonably disproportionate in light of the damage sustained by Mr. Pelullo, which was, by his own testimony, the loss of timber value. His own expert, Mr. Kowalski, testified that this was “insignificant,” amounting to a figure in “the hundreds of dollars” at most. Transcript 3-267.

Mr. Pelullo also contends the construction of the paved roadway caused damage to the root systems of the remaining trees, and seeks $14,477 for various treatment measures aimed at reversing the effects of such damage. Mr. Kowalski testified that, in his opinion, half of the roots for the trees along the Pelullo property were essentially gone, or not functioning. This damage resulted from cutting the roots during the excavation process and also adding fill to the base around the trees when the grade of Upland Road was raised. To remedy this damage, Mr. Kowalski recommended a variety of treatments which include injecting microbes into the soil to stimulate root growth, air spading (a practice of shooting compressed air into the soil to alleviate compacting), and applying “compost tea” (a mixture of water and fungi) to the soil surrounding the trees.

Mr. Kowalski’s testimony regarding possible root damage, however, relied on a great deal of speculation about future problems that he could not say with any degree of certainty would ever come to pass. He did not conduct any subsoil analysis on the property. His opinion about the health of the trees and the damage to the roots came only from his visual observations of the surface area around the trees. The assertion that half of the roots suffered damage assumes that the roots were evenly distributed in a circular area around the trees, but, as Mr. Kowalski acknowledged, tree roots tend to grow unevenly as they seek out the most optimal soil conditions. His predictions about the eventual decline of these trees as a result of placing fill around the trunks are difficult to credit, particularly in light of the fact that Mr. Pelullo’s parents added fill around these trees during the 1960’s and yet the trees remained very healthy when Mr. Kowalski inspected them. Mr. Kowalski’s prescriptions seem to have more to do with promoting what he called the trees’ “quality of life” rather than ensuring their survival. When it comes to the ability to survive, Mr. Kowalski acknowledged that trees are very resilient and can survive “almost anything.” At the time of trial, Mr. Kowalski could not say that any tree was in imminent danger as a result of the construction, and I therefore find it unreasonable to award damages to pay for a variety of treatments intended only to promote the trees’ quality of life rather than stave off an imminent threat to their survival.

Finally, the photographs of the unimproved Upland Road submitted as evidence do not support Mr. Kowalski’s contention that the construction led to a loss of a vegetative screen near the Pelullo house that should be replaced at a cost of $24,050. Trial Exhibit 84 shows an unimpeded transition from the Pelullo house to Upland Road. Planting a combination of low-growing plants and 15 foot trees, as Mr. Kowalski recommends, would give the Pelullos something they never had prior to the construction.

Mr. Pelullo also contends that by filling in portions of the low-lying area of Upland Road, his property is susceptible to increased flooding because storm water, which would have been dispersed over a larger area, is now confined to a smaller, low-lying area on his property. I disagree. Even in the 1960’s and 1970’s, the Pelullo property experienced either ponding or the overflow of water that gathered in what was described at trial as the “depression” of Upland Road. As it is now constructed, Upland Road has a storm water and drainage system intended to accommodate a 100 year storm. The calculations performed by Mr. Pelullo’s own engineer, Mr. Merrikin, show that any increase in ponding on the Pelullo property post-construction is likely to be minimal, specifically 2/100ths of a foot. His calculations also show a likely decrease by the same amount—2/100ths of a foot—in a 100 year storm and no change in a 50 year storm.

Mr. Pelullo also seeks a variety of sanctions and attorney’s fees associated with this litigation.

First, he seeks $31,366 ($2,950 for engineering fees and $28,416 in attorney’s fees) pursuant to this court’s June 17, 2010 Memorandum and Order Denying Plaintiff’s Motion for Preliminary Injunction. That motion is ALLOWED IN PART. In the June 17th order, I directed both parties to cooperate in the design and implementation of an access route to the upper yard of the Pelullo property, “the entire cost of which shall be borne by H&R.” See Memorandum and Order at 5 (June 17, 2012). Ultimately there was no agreement on a design, and Mr. Pelullo argues that H&R must now pay for half of his attorney’s time spent litigating this case (his attorney, Peter Brooks, estimates he spent 51 out of 102 hours litigating the issue of adequate access). See Aff. of Peter Brooks (Sept. 17, 2010). An award of $2,950 for the 25 hours Mr. Merrikin spent designing his alternate access plan is reasonable as is $1,387.50 in attorney’s fees for Mr. Brooks’ time at the site visit on June 28th following my order. [Note 7] The rest of Mr. Pelullo’s request, which deals with the cost of litigating rather than the “design and implementation” of the alternate access, exceeds the scope of that order.

Second, Mr. Pelullo has also moved for attorney’s fees in connection with his successful motion to dismiss H&R’s abuse of process counterclaim pursuant to the Massachusetts anti-SLAPP statute, G.L. c. 231, § 59H. That statute provides, “[i]f the court grants such a special motion to dismiss, the court shall award the moving party costs and reasonable attorney’s fees, including those incurred for the special motion….” G.L. c. 231, § 59H. Given the mandatory language of the statute, Mr. Pelullo’s motion for $6,157.00 is ALLOWED. See Office One, Inc. v. Lopez, 437 Mass. 113 , 126 (2002) (“We read [G.L. 231, § 59H] to mean that attorney’s fees and costs are mandatory for successful special motions”).

Lastly, Mr. Pelullo seeks $4,143.50 in sanctions for H&R’s alleged breach of an express agreement to halt construction within Upland Road until the court issued its ruling on his Motion for a Preliminary Injunction. Mr. Pelullo contends that after this express agreement had been reached in court on June 10, 2010, H&R continued work on Upland Road the following day, digging a large trench on the half of Upland Road that H&R owned. Mr. Pelullo originally sought a $10,000 civil fine for contempt for this activity, which I denied. This express agreement theory fares no better, and thus this motion is DENIED. Mr. Pelullo has suffered no damage from that activity, particularly considering that his preliminary injunction motion was denied, thereby allowing construction work on the way to continue.

Post Trial Developments

On November 16, 2010, I allowed Mr. Pelullo’s motion for an attachment on H&R’s real estate in the amount of $100,000 based on Mr. Pelullo’s reasonable likelihood of a judgment in his favor [Note 8] and also because of H&R’s then uncertain financial condition. See Notice of Docket Entry (Nov. 16, 2010). On May 25, 2011, I endorsed Mr. Pelullo’s Memorandum of Lis Pendens which provided notice that this action was pending and that it affected the “use and occupancy” of the parcels of land owned by H&R. See Order Re: Judicial Endorsement of Memorandum of Lis Pendens (May 25, 2011). That Memorandum was recorded at the Middlesex (South) Registry of Deeds on May 31, 2011 at Book 56982, Page 122.

H&R’s financial condition did not improve and, on or about June 9, 2011, Needham Bank, the holder of a first mortgage lien on the land owned by H&R, foreclosed on its mortgage, thereby extinguishing all junior liens including Mr. Pelullo’s attachment. 1892 Investments SP LLC, an entity owned by Needham Bank, bought the property at a foreclosure auction and conveyed the entire premises to Natick Upland LLC. Natick Upland then conveyed a portion of the property, which now contained a recently built single-family home, to Michael and Lisa Ware. Each of them had actual notice of the lis pendens affecting the use and occupancy of the land. See Consolidated Opposition of Proposed Defendants, Natick Upland LLC, Michael Ware and Lisa Ware to Plaintiff’s Motion for Leave to File Amended Complaint at 3.

In August 2011, H&R’s counsel represented to the court that H&R was insolvent, had no assets to satisfy a potential judgment in this case, could not pay for her services and had discharged her as counsel. For those reasons, counsel filed a motion to withdraw from this case, which was allowed on November 21, 2011. H&R has not retained new counsel since that time.

On August 8, 2011, Mr. Pelullo filed a motion for leave to amend his complaint to add Natick Upland LLC and the Wares as defendants in this case for purposes of implementing the roadway access relief he desires in this case. Natick Upland and the Wares filed a consolidated opposition to that motion on August 23, 2011, contending that adding them as parties to this action would result in substantial prejudice where the trial had already occurred and they had no opportunity to present evidence. See Consolidated Opposition of Proposed Defendants, Natick Upland LLC, Michael Ware and Lisa Ware to Plaintiff’s Motion for Leave to File Amended Complaint at p. 5. I disagree.

Mr. Pelullo’s motion is ALLOWED. See Kennie v. Natural Res. Dep’t of Dennis, 451 Mass. 754 , 766 (2008) (trial judge has broad discretion to grant such amendments). I disagree that allowing this motion will result in substantial prejudice to Natick Upland and the Wares. They bought the property with full knowledge of the lis pendens, and the trial exhibits (see Ex. 2) clearly showed the scope of the roadway access relief at stake. “Under the common law doctrine of lis pendens, the mere existence of litigation involving title to real property was deemed constructive notice to the world so that anyone who purchased the disputed property while the suit was pending was bound by the judgment ultimately rendered.” Debral Realty, Inc. v. DiChara, 383 Mass. 559 , 560 (1981). The lis pendens statute, G.L. c. 184, § 15 modified the harsh common law rule and now makes a judgment binding on subsequent purchasers of real property only when the statutorily required memorandum of lis pendens has been filed with the registry. See Lombardo v. Gerard, 32 Mass. App. Ct. 589 , 598 (1992). Having had notice that the use and occupancy of their property was the subject of pending litigation, they are now bound by this decision. See Lombardo, 32 Mass. App. Ct. at 598. Moreover, they have had full opportunity to make their views known in these proceedings (see their Consolidated Opposition to the Plaintiff’s Motion to Amend cited above) and the court has given full consideration to their arguments.

Relief

Mr. Pelullo is entitled to payment from H&R in the amount of $10,494.50 for engineering and attorney’s fees, but this award may prove to be merely symbolic since H&R is now apparently judgment proof. Mr. Pelullo has provided no authority that would permit me to conclude that he is entitled to payment from Natick Upland and the Wares for these damages.

However, because their property benefits from an improperly constructed road, Natick Upland and the Wares are subject to an equitable remedy to address its defects. To rule otherwise would result in their unjust enrichment. See Santagate v. Tower, 64 Mass. App. Ct. 324 , 329 (2005) (“Unjust enrichment is defined as retention of money or property of another against the fundamental principles of justice or equity and good conscience”) (internal citations and quotations omitted).

Here, H&R had the right to improve Upland Road so long as those improvements did not make way “less convenient and useful” to the Pelullos. Killion, 120 Mass. at 52. However, the road as it currently exists fails that test. Thus, the appropriate injunctive relief in this case is to restore Mr. Pelullo’s convenient access to the rear of his property, and that is best accomplished by implementing his proposed access plan. See Ex. 2, attached. To ensure timely compliance with this order to implement Mr. Pelullo’s access plan, and also because the present state of Upland Road illegally interferes with Mr. Pelullo’s rights in the way, all future use of Upland Road by the defendants is hereby ENJOINED until either this access is constructed or a bond covering the full cost of its construction is posted. [Note 9] This aspect of the judgment shall be STAYED for 30 days to give Natick Upland LLC and the Wares a reasonable opportunity to post that bond and get the work underway. Any further delay irreparably damages the Pelullos whose vehicular access to their backyard for boat and other storage is effectively cut-off until this construction is complete. See Crowley, 356 Mass. at 35 (injunctive relief rightly granted where defendant owned to middle line of a private way and made changes without regard to plaintiff’s rights in the way). It would not prejudice either Natick Upland LLC or the Wares since any residential occupation of their properties along Upland Road is presently illegal. See n. 5, supra.

Conclusion

For the reasons set forth above, Mr. Pelullo is entitled to judgment against H&R Development LLC in the amount of $10,494.50 and an affirmative injunction against all defendants to construct the access route shown in Exhibit 2. Additionally, Mr. Pelullo is entitled to an injunction enjoining the use of Upland Road for access to the lots now owned by Natick Upland LLC and Michael and Lisa Ware until that access route is completed or a bond is posted to ensure its construction. If the defendants do not begin construction promptly, the Pelullos may do so themselves, drawing on the bond for these expenses. Judgment shall enter accordingly.

SO ORDERED.


Exhibit 1

Plan of Land in Natick


Exhibit 2

Upland Road Ext. Access Plan of Land in Natick


Exhibit 3

Proposed Access Plan


FOOTNOTES

[Note 1] Mr. Pelullo and his parents are collectively referred to in this Decision as “the Pelullos.”

[Note 2] A copy of Land Court Plan 26609A is attached as Exhibit 1. The Pelullo property, located at the northwest corner of Upland Road and Oxford Street, is labeled “Celia V. Fulton” and “John J. Murray, et al.” (the names of its prior owners). The H&R property is directly east of Pelullo’s, across Upland Road (a portion of the land labeled “James J. McDermott Jr., et al.”).

[Note 3] As discussed more fully below, the H&R property has since changed hands, first (by foreclosure) to Needham Bank and then, with full knowledge of the pendency of this lawsuit by recorded memorandum of lis pendens and otherwise, by conveyance from Needham Bank to Natick Upland LLC and Michael and Lisa Ware.

[Note 4] “ANR” is shorthand for “approval under the subdivision control law not required.” ANR endorsement does not involve a full scale zoning review, and neither grants nor implies that the lots shown on the plan are buildable. See Cricones v. Planning Bd. of Dracut, 39 Mass. App. Ct. 264 , 268 (1995). For a more complete explanation ANR plan endorsements and their limited effects, see Frost v. Percelay, 20 LCR 454 , 455-457 (2012).

[Note 5] In a separate action, these lots were determined to be unbuildable because they lacked the required “lot depth” under the Natick Zoning Bylaws. Pelullo v. Natick Zoning Bd. of Appeals, 20 LCR 467 (2012). Thus, in the absence of a variance, anything built on those lots cannot legally be occupied. So far as the record shows, no such variance has been granted.

[Note 6] Whether the Natick Planning Board had the legal authority to condition its ANR endorsement on implementing Mr. Coviello’s street improvement recommendations is an issue beyond this proceeding. The board endorsed H&R’s ANR plan on November 18, 2009. A challenge to an ANR endorsement must be made by certiorari (G.L. c. 249, § 4) within sixty days from the date of approval. Stefanick v. Planning Bd. of Uxbridge, 39 Mass. App. Ct. 418 , 424 (1995). This action was filed four and a half months past that deadline on June 3, 2010.

[Note 7] I find both Mr. Brooks’ rates and the amount of time he spent on those tasks eminently reasonable and fully in line with (indeed, those rates are below) those commonly charged by lawyers of his training, experience and stature in the Boston legal community.

[Note 8] This $100,000 included the cost of constructing the new access ramp to the Pelullos’ backyard, compensation for tree damage, the attorney’s and engineering fees described herein, and interest.

[Note 9] A bond of $60,000 would appear to be appropriate, but I will hear arguments from Mr. Pellulo if he believes that figure inadequate, and from Natick Upland LLC and the Wares if they believe it excessive.